Type plan: bestemmingsplan
Naam van het plan: Floraweg 10 en 31a, Roelofarendsveen
Status: ontwerp
Plan identificatie: NL.IMRO.1884.BPFLORAWEG10EN31A-ONT1

Toelichting

 
1 Inleiding
 
1.1 Aanleiding
De bestaande woning aan de Floraweg 10 is nu bestemd als agrarische bedrijfswoning maar al enige tijd in gebruik als burgerwoning. De initiatiefnemer is voornemens om de mogelijkheid voor een bedrijfswoning van de Floraweg 10 te verplaatsen naar de Floraweg 31a. Daarmee wordt de woning aan de Floraweg 10 een burgerwoning en ontstaat aan de Floraweg 31a de mogelijkheid een nieuwe bedrijfswoning te realiseren.
 
De gemeente Kaag en Braassem heeft in een vooroverlegreactie aangegeven medewerking te verlenen aan het plan. Er zal gebruik gemaakt worden van de coördinatieregeling.
 
Het initiatief past niet binnen de mogelijkheden van het geldende bestemmingsplan 'Geestweg en Floraweg', vastgesteld door de raad van de gemeente Kaag en Braassem op 13 mei 2013. De betreffende gronden zijn bestemd als 'Agrarisch - Glastuinbouw'. Initiatiefnemer is voornemens om Floraweg 10 te voorzien van de bestemming 'Wonen' en de Floraweg 31a de bestemming 'Agrarisch - Glastuinbouw' met de aanduiding 'bedrijfswoning'. Om het beoogde plan juridisch planologisch mogelijk te maken zal een partiële herziening van het bestemmingsplan (postzegelbestemmingsplan) opgesteld moeten worden. Het voorliggende bestemmingsplan voorziet hierin.
 
1.2 Ligging plangebied
De plangebieden van voorliggend bestemmingsplan zijn gelegen aan de Floraweg 10 en 31a te Roelofarendsveen. Roelofarendsveen maakt onderdeel uit van de gemeente Kaag en Braassem. De plangebieden zijn ten zuidwesten van de kern Roelofarendsveen gesitueerd. Rondom de plangebieden bevinden zich verschillende agrarische percelen waar glastuinbouw plaats vindt. Floraweg 10 is kadastraal bekend als de gemeente Alkemade, sectie K, perceelnummer 867 (deels) en 866 (deels). Floraweg 31a is kadastraal bekend als de gemeente Alkemade, Sectie K, perceelnummer 2091 (deels).
    
De navolgende afbeeldingen geven de globale ligging en de globale begrenzing van de plangebieden weer.
 
Globale ligging plangebied, rood omcirkeld (bron: Google Maps)
 
Globale begrenzing plangebied Floraweg 10, wit omkaderd (bron: Google Maps)
 
Globale begrenzing plangebied Floraweg 31a, rood omkaderd (bron: Google Maps)
1.3 Geldend bestemmingsplan
Het plangebied ligt binnen de grenzen van het geldende bestemmingsplan 'Geestweg en Floraweg', vastgesteld op 13 mei 2013 door de raad van de gemeente Kaag en Braassem. 
 
De gronden van beide plangebieden hebben in het geldende bestemmingsplan de bestemming 'Agrarisch - Glastuinbouw'. De voor 'Agrarisch - Glastuinbouw' aangewezen gronden zijn bestemd voor het uitoefenen van volwaardige en doelmatige glastuinbouwbedrijven, bollenbroeierijen en vollegrondsteelt. Binnen deze bestemming is bebouwing toegestaan zoals kassen en bedrijfsgebouwen met een maximale goot- en bouwhoogte van respectievelijk 8 en 12 m. Tevens zijn bedrijfswoningen toegestaan met een maximale goot- en bouwhoogte van 6 en 10 m en een maximale inhoud van 650 m3.
 
Floraweg 10
In het geldende bestemmingsplan is het plangebied ter plaatse van de Floraweg 10 bestemd als 'Agrarisch - Glastuinbouw', waar het uitoefenen van volwaardige en doelmatige glastuinbouwbedrijven, bollenbroeierijen en vollegrondsteelt is toegestaan. Een burgerwoning is binnen deze bestemming niet toegestaan. Het beoogde initiatief past daarom niet binnen het geldende bestemmingsplan. Het geldende bestemmingsplan kent diverse wijzigingsbevoegdheden, waaronder een wijzigingsbevoegdheid ten behoeve van het omzetten van een bedrijfswoning naar een burgerwoning. Daarbij zijn burgemeester en wethouders bevoegd de bestemming 'Agrarisch - Glastuinbouw' ter plaatse van de bestaande bedrijfswoning te wijzigen naar 'Wonen'. Er kan echter niet voldaan worden aan de voorwaarden uit de wijzigingsbevoegdheid. Om het omzetten van de bedrijfswoning naar een burgerwoning planologisch mogelijk te maken, is een herziening van het bestemmingsplan nodig. Voorliggend bestemmingsplan voorziet hierin..
 
De navolgende afbeelding toont een uitsnede van de verbeelding van het bestemmingplan ter plaatse van de Floraweg 10.
 
Uitsnede bestemmingsplan Floraweg 10 'Geestweg en Floraweg' (bron: ruimtelijkeplannen.nl) 
 
Floraweg 31a
In het geldende bestemmingsplan is het plangebied ter plaatse van de Floraweg 31a bestemd als 'Agrarisch -Glastuinbouw'. Enkel bestaande bedrijfswoningen zijn toegestaan. Het plangebied grenst aan de westzijde aan de reguliere burgerwoning Floraweg 31. De navolgende afbeelding toont een uitsnede van de verbeelding van het bestemmingsplan ter plaatse van de Floraweg 31a.
     
Uitsnede bestemmingsplan Floraweg 31a 'Geestweg en Floraweg' (bron: ruimtelijkeplannen.nl)
 
Momenteel staat in de bouwregels dat ‘de langs de weg gelegen gevel van de bedrijfswoning zich dient te bevinden op een afstand van 10 tot 30 meter uit de as van de weg, vermeerderd met de breedte die zich eventueel tussen de weg en de woning bevindende waterloop’. Aangezien de woning  op een afstand van circa 40 meter van de weg af komt te liggen, past de nieuwe bedrijfswoning niet binnen het geldende bestemmingsplan. Middels voorliggend postzegelbestemmingsplan kunnen plaatselijk andere bouwregels worden gehanteerd. De woning dient qua goothoogte (maximaal 6 m), bouwhoogte (maximaal 10 m) en inhoud (maximaal 650 m3) wel inpasbaar te zijn.
 
Het realiseren van de bedrijfswoning is uitsluitend mogelijk indien het planologisch regime wordt gewijzigd. Initiatiefnemer heeft ervoor gekozen het planologische regime, middels voorliggend bestemmingsplan, te wijzigen. Voorliggend bestemmingsplan voorziet derhalve in het gewenste juridisch-planologisch kader waarmee het mogelijk is de bedrijfswoning te realiseren.
 
1.4 Leeswijzer
Na dit inleidende hoofdstuk wordt in hoofdstuk 2 het initiatief beschreven. In hoofdstuk 3 is een beschrijving van het relevante beleid opgenomen. In hoofdstuk 4 wordt het project inhoudelijk op haalbaarheid getoetst aan de hand van het geldende beleid en (milieu)wetgeving. De juridische planbeschrijving is te vinden in hoofdstuk 5. Tot slot bevat hoofdstuk 6 de economische uitvoerbaarheid en hoofdstuk 7 de maatschappelijke uitvoerbaarheid van het plan.
 
2 Planbeschrijving
 
2.1 Huidige situatie
Floraweg 10
Aan de Floraweg 10 te Roelofarendsveen staat de bedrijfswoning waarop het voorliggend plan betrekking heeft. Volgens het geldende bestemmingsplan is een bedrijfswoning bij de ter plaatse toegestane agrarische bedrijfsactiviteiten toegestaan. De bedrijfswoning wordt al enige tijd gebruikt als burgerwoning. De aangrenzende gronden zijn in gebruik voor glastuinbouw. De gronden ten noorden en westen van de bedrijfswoning worden mogelijk herontwikkeld ten behoeve van woningbouw. In dat geval worden de bestaande kassen en bedrijfsgebouwen gesloopt.
 
De bedrijfswoning bestaat uit twee bouwlagen met kap en is gericht op de Floraweg. Aan de voorzijde is de woning voorzien van een tuin en aan de noordzijde ligt een inrit ten behoeve van de woning en de achterliggende kassen. Ten noorden van het plangebied ligt de Braassemdreef. Verder ten oosten, zuiden en westen bevinden zich (bedrijfs)woningen en glastuinbouwbedrijven.
   
Op de navolgende afbeelding is een impressie van de huidige situatie weergegeven. 
 
Impressie huidige situatie Floraweg 10 (bron: Google Earth)
       
Floraweg 31a
Floraweg 31a te Roelandsveen is momenteel in gebruik als woonlocatie en heeft een oppervlakte van circa 500 m². Het terrein is deels bebouwd. Hier bevindt zich een woning met één woonlaag met lage kap. De bijgebouwen naast de woning zijn verplaatsbare units en een caravan. Deze worden gebruikt als tijdelijke opslag en onderkomen bij de nieuwbouw van de woning. Het onbebouwde terrein is deels onverhard in gebruik als tuin en deels verhard met stelconplaten en tegels. Ten noorden van het plangebied ligt de burgerwoning aan de Floraweg 29 en ten zuiden ligt de burgerwoning aan de Floraweg 35. Tot slot wordt het plangebied aan de westzijde begrensd door de reguliere burgerwoning Floraweg 31.
    
Op de navolgende afbeeldingen is een impressie van de huidige situatie weergegeven. 
 
Impressie huidige situatie Floraweg 31a (bron: VRP Architecten)
Impressie huidige situatie Floraweg 31a (bron: SGS Search Ingenieursbureau B.V.)
2.2 Toekomstige situatie
Floraweg 10
De bedrijfswoning aan de Floraweg 10 zal worden omgezet naar een burgerwoning. Het betreft enkel een planologische wijziging. Ruimtelijk zullen er geen veranderingen optreden en zullen de toekomstige situatie en de huidige situatie gelijk zijn. 
   
Floraweg 31a
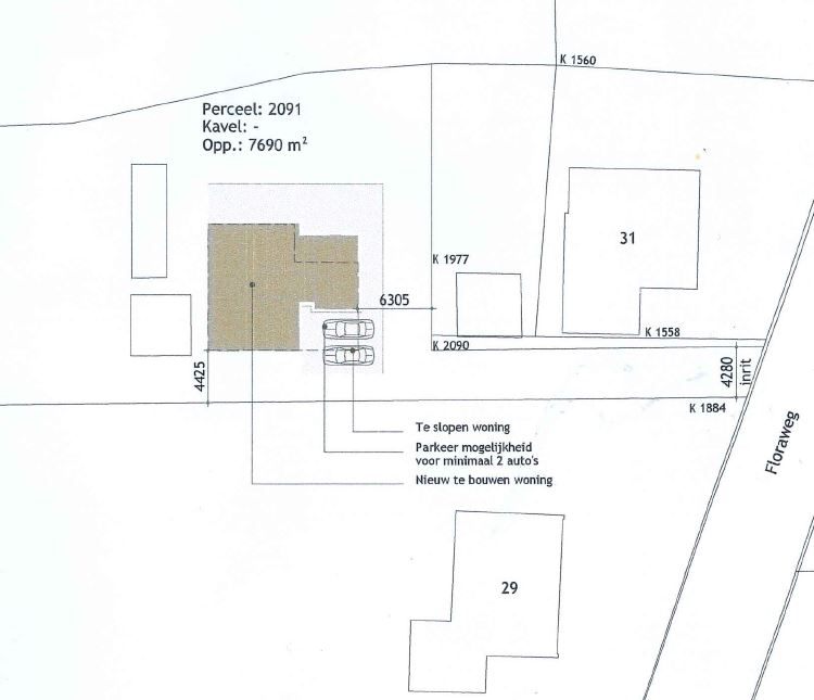
Zoals reeds aangegeven in hoofdstuk 1 wordt binnen het plangebied een nieuwe bedrijfswoning beoogd. De bestaande woning in het plangebied zal worden gesloopt. Wanneer de nieuwe woning gereed is, zullen de tijdelijke units en caravan worden verwijderd. De ruimtelijke randvoorwaarden voor de bedrijfswoning worden aangepast overgenomen uit het bestemmingsplan 'Geestweg en Floraweg'. De bedrijfswoning bestaat uit een vrijstaande woning met een aanbouw met een goothoogte van 2,9 m en een bouwhoogte van 7,8 m.
 
In de onderstaande afbeeldingen is het schetsontwerp weergeven.
 
Situatietekening Floraweg 31a (bron: SelektHuis Ontwikkeling B.V.)
 
Doorsnede Hoofdbouw en aanbouw, beoogde situatie, Floraweg 31a (bron: SelektHuis Ontwikkeling B.V.)
 
Impressie, beoogde situatie, Floraweg 31a (bron: SelektHuis Ontwikkeling B.V.)
  
3 Beleid
3.1 Nationaal beleid
3.1.1 Nationale Omgevingsvisie
Op 11 september 2020 is de Nationale Omgevingsvisie (NOVI) in werking getreden. Deze visie bevat de hoofdzaken van het strategisch rijksbeleid voor de fysieke leefomgeving. Dit is een combinatie van beleid uit de bestaande beleidsdocumenten, met en zonder wettelijke grondslag, en nieuw strategisch beleid. De grote en complexe opgaven, zoals klimaatverandering, energietransitie, circulaire economie, bereikbaarheid en woningbouw zullen Nederland gaan veranderen. De NOVI bevat een toekomstperspectief met de ambities van het Rijk. In de NOVI zijn 21 nationale belangen met bijbehorende opgaven geformuleerd. Deze nationale belangen komen samen in vier prioriteiten:
  1. ruimte voor klimaatadaptatie en energietransitie;
  2. duurzaam economisch groeipotentieel;
  3. sterke en gezonde steden en regio's;
  4. toekomstbestendige ontwikkeling van het landelijk gebied. 
Voor de vier NOVI-prioriteiten geldt steeds dat zowel voor de lange als de korte termijn maatregelen nodig zijn. Deze maatregelen dienen in de praktijk voortdurend op elkaar in te spelen. Bij de afweging van de belangen staat een evenwichtig gebruik van de fysieke leefomgeving centraal voor zowel de boven- als de ondergrond.
 
Planspecifiek
De NOVI is niet specifiek van toepassing op het plangebied.
 
3.1.2 Besluit algemene regels ruimtelijke ordening
De wetgever heeft in de Wro, ter waarborging van de nationale of provinciale belangen, de besluitmogelijkheden van lagere overheden begrensd. Indien provinciale of nationale belangen dat met het oog op een goede ruimtelijke ordening noodzakelijk maken, kunnen bij of krachtens provinciale verordening respectievelijk bij of krachtens algemene maatregel van bestuur regels worden gesteld omtrent de inhoud van bestemmingsplannen. In het Besluit algemene regels ruimtelijke ordening (Barro) zijn 14 nationale belangen opgenomen die in de Structuurvisie Infrastructuur en Ruimte (SVIR) zijn herbevestigd. Voor deze belangen is het Rijk verantwoordelijk en wil het resultaten boeken. Buiten deze 14 belangen hebben decentrale overheden beleidsvrijheid.
 
Planspecifiek
Het Barro is verder niet specifiek van toepassing op het plangebied.
 
3.1.3 Ladder voor duurzame verstedelijking
In het Besluit ruimtelijke ordening (Bro) is de verplichting opgenomen om in het geval van een nieuwe stedelijke ontwikkeling in de toelichting een onderbouwing op te nemen van nut en noodzaak van de nieuwe stedelijke ruimtevraag en de ruimtelijke inpassing. Hierbij wordt uitgegaan van de 'ladder voor duurzame verstedelijking'.
 
De 'stappen van de ladder' worden in artikel 3.1.6, leden 2 - 4 Bro als volgt omschreven:
  1. De toelichting bij een bestemmingsplan dat een nieuwe stedelijke ontwikkeling mogelijk maakt, bevat een beschrijving van de behoefte aan die ontwikkeling, en, indien het bestemmingsplan die ontwikkeling mogelijk maakt buiten het bestaand stedelijk gebied, een motivering waarom niet binnen het bestaand stedelijk gebied in die behoefte kan worden voorzien.
  2. Indien in een bestemmingsplan als bedoeld in het tweede lid toepassing is gegeven aan artikel 3.6, eerste lid, onder a of b, van de wet kan bij dat bestemmingsplan worden bepaald dat de beschrijving van de behoefte aan een nieuwe stedelijke ontwikkeling en een motivering als bedoeld in het tweede lid eerst wordt opgenomen in de toelichting bij het wijzigings- of het uitwerkingsplan als bedoeld in dat artikel. 
  3. Een onderzoek naar de behoefte als bedoeld in het tweede lid, heeft, in het geval dat een bestemmingsplan als bedoeld in het tweede lid, ziet op de vestiging van een dienst als bedoeld in artikel 1 van de Dienstenwet en dit onderzoek betrekking heeft op de economische gevolgen van die vestiging, slechts tot doel na te gaan of de vestiging van een dienst in overeenstemming is met een goede ruimtelijke ordening.
Planspecifiek
Conform artikel 1.1.1, eerste lid onder i van het Bro wordt onder een stedelijke ontwikkeling verstaan: een 'ruimtelijke ontwikkeling van een bedrijventerrein of zeehaventerrein, of van kantoren, detailhandel, woningbouwlocaties of andere stedelijke voorzieningen.' Uit jurisprudentie van de Afdeling bestuursrechtspraak van de Raad van State blijkt dat de ondergrens van wat als nieuwe stedelijke ontwikkeling moet worden gezien, ligt tussen de 9 en 14 nieuwe woningen afhankelijk van de omgeving waarin de ontwikkeling plaatsvindt. Met onderhavig plan wordt de bestaande bedrijfswoning (nr. 10) omgezet naar een burgerwoning en wordt een nieuwe bedrijfswoning gerealiseerd (nr. 31a).  Er is sprake van een functiewijziging en een realisatie van slechts één bedrijfswoning. Er kan dan ook gesteld worden dat onderhavig plan geen stedelijke ontwikkeling betreft.
 
Gezien het voorgaande wordt er geconcludeerd dat de voorgenomen ontwikkeling voldoet aan de ladder voor duurzame verstedelijking.
 
3.2 Provinciaal beleid
 
3.2.1 Omgevingsvisie Zuid-Holland
De meeste recente versie van de Omgevingsvisie van de provincie Zuid-Holland is in werking getreden op 1 april 2023. De Omgevingsvisie bestaat uit vier onderdelen:
  1. Ruimtelijke hoofdstructuur
De ruimtelijke hoofdstructuur toont de essentie en de samenhang van verschillende ruimtelijke beleidskeuzes uit de Omgevingsvisie. Het integrale kaartbeeld van de ruimtelijke hoofdstructuur is opgebouwd uit de volgende kaartbeelden:
  • het dagelijks stedelijk systeem, dat bestaat uit de stedelijke agglomeratie en de daarmee via hov (hoogwaardig openbaar vervoer) verbonden regiokernen;
  • de hoogstedelijke zone tussen Leiden en Dordrecht;
  • het logistiek-industriële systeem van mainport, greenports langs vaarwegen en zware infrastructuur;
  • de samenhang van grote landschappelijke eenheden met de stedelijke agglomeratie;
  • de groene ruimte en de groenblauwe structuur;
  • het bodem- en watersysteem;
  • energie.
  1. Ambities en sturing
De provincie wil meer vertrouwen geven aan maatschappelijke initiatieven. De provincie werkt daarom vanuit een aantal sturingsprincipes: opgavegericht, provinciaal belang en maatwerk.
 
De provincie heeft zes richtinggevende ambities in de fysieke leefomgeving. Deze ambities zijn geworteld in de historie, ligging en economische structuur van Zuid-Holland en zijn gekoppeld aan de strategische uitdagingen waar de regio voor staat. De provincie heeft de volgende ambities:
  • naar een klimaatbestendige delta;
  • naar een nieuwe economie: the next level;
  • naar een levendig meerkernige metropool;
  • energievernieuwing;
  • best bereikbare provincie;
  • gezonde en aantrekkelijke leefomgeving.
  1. Omgevingskwaliteit
Onder 'omgevingskwaliteit' wordt verstaan: het geheel aan kwaliteiten die de waarde van de fysieke leefomgeving bepalen. De volgende onderdelen vormen de basis van de omgevingskwaliteit:
  • een beschrijving van de unieke kwaliteiten van Zuid-Holland: de drie deltalandschappen, de Zuid-Hollandse steden en de strategische ligging in internationale netwerken;
  • een beschrijving van de bestaande omgevingskwaliteit op basis van de leefomgevingstoets, met aandacht voor aspecten van milieukwaliteit. Hiertoe implementeert de provincie de beleidscyclus en monitor Omgevingskwaliteit;
  • een nadere uitwerking van het provinciale beleid voor het verbeteren van de ruimtelijke kwaliteit, op basis van de 'kwaliteitskaart' en de 'richtpunten ruimtelijke kwaliteit'.
  1. Beleidskeuzes
De provincie heeft in de Omgevingsvisie een overzicht gemaakt van samenhangende beleidskeuzes (zie Omgevingsvisie Zuid Holland).
 
Planspecifiek
  1. Ruimtelijke hoofdstructuur
De ruimtelijke hoofdstructuur is voor het beoogde initiatief niet specifiek van belang gezien de aard en omvang van het initiatief. 
  1. Ambities en sturing
De ambities van de provincie zijn niet specifiek van toepassing voor het beoogde initiatief, maar vormen tevens geen belemmering voor de ontwikkeling. 
  1. Omgevingskwaliteit
Voor de beoogde ontwikkeling is de omgevingskwaliteit wel van belang. Hiervoor zullen de relevante kaartlagen van de kwaliteitskaart en de bijbehorende richtpunten nader worden omschreven.
 
Laag van de ondergrond
Op de kaart van de 'Laag van de ondergrond' is het plangebied aangewezen als 'Veencomplex - Veen'. Een groot deel van Zuid-Holland bestaat uit veengronden met een hoge waterstand. Het veen kent een geringe draagkracht. Binnen het veengebied is een aantal plekken waar in de ondergrond nog grote veenpakketten aanwezig zijn. Niet alleen zijn deze veenpakketten van bijzondere waarde, ook zijn deze gebieden zeer gevoelig voor bodemdaling. Ontwikkelingen in het veenlandschap dragen zorg voor het behoud van het veen en zijn met name bij de diepe veenpakketten gericht op het beperken van de bodemdaling. 
 
Floraweg 10 en 31a
Ter plaatse van de Floraweg 10 vindt uitsluitend een planologische wijziging plaats. Er worden geen bodemingrepen uitgevoerd. Er kan dan ook gesteld worden dat het initiatief geen invloed heeft op het veen en de diepe veenpakketten. Er worden namelijk geen bodemingrepen uitgevoerd en de schaal van de ontwikkeling is beperkt.
 
Floraweg 31a
Ter plaatse van de Floraweg 31a wordt een nieuwe woning gerealiseerd. Op deze locatie is in de huidige situatie reeds bebouwing aanwezig waardoor behoud van het veen niet meer mogelijk is. Tevens is de ontwikkeling naar aard en omvang beperkt en zijn daarmee ook de effecten op het 'Veencomplex - Veen' beperkt. Aanvullende maatregelen zijn derhalve niet noodzakelijk.        
 
Laag van de cultuur- en natuurlandschappen 
Floraweg 10
Het plangebied is gelegen aan het bebouwingslint van de Floraweg. Linten zijn lineaire, aangesloten bebouwing langs wegen, waterwegen of dijken met een sterke relatie met het omliggende landschap. Ze bepalen mede de kenmerken van het landschap en zijn daarvan niet los te zien. Bij nieuwe ontwikkelingen zijn de huidige korrel, profiel, transparantie en respect voor historische gaafheid van een lint richtinggevend. Met het initiatief wordt er geen bebouwing gesloopt of gebouwd. Enkel het gebruik wordt planologisch gewijzigd. Het initiatief heeft dan ook geen invloed op het lint.
 
Tevens is het plangebied gelegen in de onverveende bovenlanden. Een bovenland is een smalle strook onvergraven veengrond aan weerszijden van een veenstroom of wetering, met een scherpe overgang naar de aangrenzende droogmakerijen. Ontwikkelingen dragen bij aan de contrasten tussen het bovenland en de aangrenzende droogmakerijen. Ook hier geldt dat er geen fysieke wijzigingen zijn, waardoor het initiatief geen invloed heeft op de onverveende bovenlanden.
 
Floraweg 31a
Met het initiatief wordt een bedrijfswoning mogelijk gemaakt. Deze woning wordt achter en ter plaatse van bestaande bebouwing gerealiseerd. Door de beperkte schaal van het initiatief en doordat hier reeds bebouwing aanwezig is, heeft de ontwikkeling geen invloed op het lineaire karakter van de linten. Het lint blijft herkenbaar als bebouwingsvorm. Tot slot zal er rekening worden gehouden met de cultuurhistorische kwaliteiten van het gebied.
     
Laag van de stedelijke occupatie 
Floraweg 10
De kaart 'Laag van stedelijke occupatie' geeft weer dat het plangebied in de stads- en dorpsranden gelegen is. De stads- en dorpsrand is de zone op de grens van bebouwd gebied en landschap. Het is het deel van stad of dorp met potentie voor een hoogwaardig en geliefd woonmilieu, doordat hier de genoegens van stedelijk en buiten wonen bij elkaar komen; de nabijheid van voorzieningen gecombineerd met het vrije zicht en het directe contact met het buitengebied. De relatie tussen bebouwd gebied en landschap is afhankelijk van de karakteristieken van de bebouwingsrand en die van het aangrenzende landschap. Met het initiatief  vinden geen wijzigingen plaats in het plangebied.
    
Floraweg 31a
De kaart 'Laag van stedelijke occupatie' geeft weer dat het plangebied in een glastuinbouwgebied gelegen is. Concentratiegebieden voor glastuinbouw kunnen qua belevingswaarde worden beschouwd als bedrijventerrein. Ontwikkelingen in de glastuinbouw dienen bij voorkeur bij te dragen aan een grootschalig, geconcentreerd, modern uiterlijk en functioneren. Gericht op zoveel mogelijk meervoudig ruimtegebruik en collectieve voorzieningen, met aandacht voor aansluiting op bestaande landschappelijke structuren. Met het initiatief wordt een bedrijfswoning gerealiseerd. Hiermee wordt de ruimtelijke kwaliteit binnen het glastuinbouwgebied verbeterd en wordt bijgedragen aan het meervoudig ruimtegebruik. 
  1. Beleidskeuzes
De ontwikkeling sluit aan bij de beleidskeuze 'behoud en versterking ruimtelijke kwaliteit'. Het ruimtelijke kwaliteitsbeleid bestaat uit de voorgenoemde lagen van de kwaliteitskaart. Daarnaast heeft het plan betrekking op de beleidskeuze 'Agrarische bebouwing en bedrijfsvoering. De provincie staat glastuinbouw alleen toe in de daarvoor aangewezen gebieden.
   
Conclusie
Met de beoogde ontwikkeling zijn er geen belemmeringen vanuit de Omgevingsvisie. De ruimtelijke kwaliteit blijft behouden en er wordt aangesloten bij de gebiedsprofielen. Het beoogde initiatief past binnen de Omgevingsvisie en is in lijn met de provinciale ambities.
 
3.2.2 Omgevingsverordening Zuid-Holland
Tegelijk met de Omgevingsvisie is de Omgevingsverordening op 1 april 2023 in werking getreden. De Omgevingsverordening omvat in aanvulling op de Omgevingsvisie toetsbare criteria waaraan planvorming moet voldoen.  
    
Ruimtelijke kwaliteit
In artikel 6.9 lid 5 van de Omgevingsverordening is opgenomen dat een bestemmingsplan, onder de volgende voorwaarden ten aanzien van ruimtelijke kwaliteit, kan voorzien in een nieuwe ruimtelijke ontwikkeling:
  1. de ruimtelijke ontwikkeling past binnen de bestaande gebiedsidentiteit, voorziet geen wijziging op structuurniveau, past bij de aard en schaal van het gebied en houdt rekening met de relevante richtpunten ruimtelijke kwaliteit, zodanig dat de ruimtelijke kwaliteit per saldo ten minste gelijk blijft. In dit geval is er sprake van inpassen;
  2. de ruimtelijke ontwikkeling past binnen de bestaande gebiedsidentiteit, maar veroorzaakt wijziging op structuurniveau. Een dergelijke ontwikkeling wordt alleen toegestaan mits de ruimtelijke kwaliteit per saldo ten minste gelijk blijft door zorgvuldige inbedding van de ontwikkeling in de omgeving, rekening houdend met de relevante richtpunten ruimtelijke kwaliteit. In dit geval is er sprake van aanpassen;
  3. de ruimtelijke ontwikkeling past niet binnen de bestaande gebiedsidentiteit. Een dergelijke ontwikkeling wordt uitsluitend toegestaan mits de ruimtelijke kwaliteit van de nieuwe ontwikkeling is gewaarborgd door een integraal ontwerp. Daarin wordt behalve aan de ruimtelijke kwaliteit van het gehele gebied ook aandacht besteed aan de fysieke en visuele overgang naar de omgeving en de fasering in ruimte en tijd en wordt ook rekening gehouden met de relevante richtpunten ruimtelijke kwaliteit. In dit geval is er sprake van transformeren.  
Ten aanzien van ruimtelijke kwaliteit is sprake van een vorm van inpassen (sub a), omdat de ontwikkeling zich afspeelt op het niveau van een kavel en past bij de aard en de schaal van het gebied. Met de ontwikkeling van de burgerwoning aan Floraweg 10 vinden er geen fysieke wijzigingen aan de bebouwing plaats waardoor de gebiedsidentiteit behouden blijft. Bij de ontwikkeling van de bedrijfswoning aan de Floraweg 31a wordt er wel bebouwing toegevoegd, deze versterkt de ruimtelijke kwaliteit in het gebied en past goed binnen de bestaande gebiedsidentiteit. De relevante richtpunten van de kwaliteitskaart zijn in toelichting paragraaf 3.2.1 toegelicht. Hieruit blijkt dat het beoogde plan aan de relevante richtpunten van de kwaliteitskaart voldoet.
 
Ladder voor duurzame verstedelijking
In artikel 6.10 van de Omgevingsverordening is opgenomen dat een bestemmingsplan dat een nieuwe stedelijke ontwikkeling mogelijk maakt, moet voldoen aan de volgende eisen:
  1. de toelichting van het bestemmingsplan gaat in op de toepassing van de ladder voor duurzame verstedelijking overeenkomstig artikel 3.1.6, tweede, derde en vierde lid van het Besluit ruimtelijke ordening;
  2. indien in de behoefte aan de stedelijke ontwikkeling niet binnen bestaand stads- en dorpsgebied kan worden voorzien en voor zover daarvoor een locatie groter dan 3 hectare nodig is, wordt gebruik gemaakt van grote buitenstedelijke bouwlocaties waarvan de plaats geometrisch is bepaald en verbeeld op kaart 19 in bijlage II en wordt rekening gehouden met de voor deze locaties opgenomen gegevens en criteria in bijlage X.
Voor het voorgenomen plan is in toelichting paragraaf 3.1.3 op de ladder voor duurzame verstelijking ingegaan. Hieruit blijkt dat de beoogde ontwikkeling niet voorziet in een nieuwe stedelijke ontwikkeling. Derhalve hoeft het voorgenomen plan niet nader getoetst te worden aan artikel 6.10 van de Omgevingsverordening.
 
Ruimtelijke kwaliteit en beschermingscategorin
De plangebieden Floraweg 10 en 31a bevinden zich volgens kaart 14 'Ruimtelijke kwaliteit en beschermingscategorieën' van de Omgevingsverordening in de beschermingscategorie 3 buitengebied. In artikel 6.9a staat dat een bestemmingsplan voor een locatie binnen buitengebied waarvan de plaats geometrisch is verbeeld op kaart 14 in bijlage II kan voorzien in een ruimtelijke ontwikkeling mits de openheid en het groene karakter van het landschap niet onevenredig wordt aangetast, blijkens een afdoende motivering die tevens ingaat op de keuze voor een locatie buiten bestaand stads- en dorps gebied. Bij de ontwikkeling van Floraweg 10 vindt alleen een functiewijziging plaats. Hierbij wordt het groene karakter van het landschap niet onevenredig aangetast. Bij de ontwikkeling van Floraweg 31a wordt een bedrijfswoning gerealiseerd, ook deze ontwikkeling tast de openheid en het groene karakter van het landschap niet aan.
 
Glastuinbouwgebied
Uitsluitend het plangebied van Floraweg 31a is aangewezen als glastuinbouwgebied. De wijziging van de bedrijfswoning naar een burgerwoning ter plaatse van Floraweg 10 vindt niet binnen het door de provincie aangeduide glastuinbouwgebied plaats. In artikel 6.15 lid 1 is geregeld dat binnen een glastuinbouwgebied alleen glastuinbouwbedrijven en openlucht tuinbouwbedrijven, alsmede de daarbij behorende voorzieningen en voorzieningen voor energieopwekking, toegestaan zijn. Als gevolg van het voorgenomen plan neemt de oppervlakte van het glastuinbouwgebied dat gebruikt kan worden voor glastuinbouw niet af. Op deze locatie is reeds een bestaande tijdelijke woning met bijbehorende bebouwing aanwezig. Met toepassing van artikel 6.16 lid 4 kunnen in het glastuinbouwgebied afwijkende functies langs de linten toegestaan worden, waar reeds afwijkende functies aanwezig zijn. Daarnaast laat artikel 6.18, lid 1, onder d van de Omgevingsverordening in beginsel een bedrijfswoning toe bij een volwaardige agrarische bedrijfsvoering. Omdat de gronden reeds in gebruik zijn voor een (tijdelijke) bedrijsfwoning zijn hier afwijkende functies aanwezig en wordt voldaan aan artikel 6.18, lid 1, onder d. De bedrijfswoning vervangt een tijdelijke bedrijfswoning die reeds noodzakelijk is bij een bestaande volwaardige agrarische bedrijfsvoering. De realisatie van de nieuwe bedrijfswoning aan de Floraweg 31a hindert geen van de omliggende glastuinbouwbedrijven in de omgeving, zoals blijkt uit toelichting paragraaf 4.4. De beoogde omzetting is daarmee niet in strijd met de bepalingen van artikel 6.15.
 
Risico's van klimaatverandering
In  artikel 6.27a van de Omgevingsverordening is opgenomen dat rekening gehouden moet worden met de gevolgen van de risico's van klimaatverandering, tenminste voor zover het betreft de risico's ten aanzien van:
  1. wateroverlast door overvloedige neerslag;
  2. overstroming;
  3. hitte;
  4. droogte. 
De voorgenomen ontwikkeling ter plaatse van Floraweg 10 betreft geen ruimtelijke ontwikkeling; er wordt geen nieuwe bebouwing toegevoegd of andere ruimtelijke ingrepen gedaan. Toetsing aan de risico's van klimaatverandering is in voorliggend geval daarom niet aan de orde.
 
Floraweg 31a
Om de risico's van klimaatverandering in het plangebied in kaart te brengen is de klimaatatlas van Zuid-Holland geraadpleegd.
 
Wateroverlast door overvloedige neerslag
Uit raadpleging van de klimaatatlas blijkt dat de waterdiepte in het plangebied bij extreme neerslag circa 10 cm bedraagt. Met de voorgenomen ontwikkeling word het plangebied herontwikkeld en daarmee ook de waterhuishouding verbeterd. Er zal sprake zijn van voldoende mogelijkheden om het regenwater op te vangen bij zware weeromstandigheden.
 
Overstroming
Uit raadpleging van de klimaatatlas blijkt dat ter plaatse van het plangebied een extreem kleine kans (<1/30.000 per jaar) op overstromingen bestaat. Bij een overstroming van de regionale keringen bedraagt de waterdiepte ca. 0,5 - 1,0 m. Bij een overstroming van de primaire kering bedraagt de waterdiepte <= 0,5 m. Gezien de geringe kans op een overstroming worden maatregelen niet noodzakelijk geacht.
 
Hitte
In de klimaatatlas wordt aangegeven dat het in het gehele plangebied koeler is dan in de omgeving. Dit komt o.a. doordat het plangebied voor het grootste deel onverhard is. In de toekomstige situatie is er veel groen en water aanwezig, dit komt het voorkomen van hittestress ten goede. Er worden geen belemmeringen verwacht vanuit hittestress. 
 
Droogte
Vanuit droogte worden geen belemmeringen verwacht. De grondwaterstand is vergelijkbaar met de omgeving en er zal voldoende waterinfiltratie mogelijk gemaakt worden.
           
Gezien het voorgaande dient er geconcludeerd te worden dat er geen belemmeringen zijn vanuit de Omgevingsverordening voor onderhavig initiatief.
 
3.3 Regionaal beleid
 
3.3.1 Regionale Woonagenda Holland Rijnland 2023
Het is dringen op de woningmarkt in Holland Rijnland. Net als in andere delen van Nederland stapelen de vraagstukken zich op. De tekorten zijn groot, met name in het betaalbare koop-, sociale huur- en middeldure huursegment. De koopprijzen zijn hard gestegen en de wachttijden voor sociale huurwoningen zijn langer, waarbij een grote diversiteit aan doelgroepen met smart wacht op een geschikte woning. Om die redenen is in juli 2023 de nieuwe regionale woonagenda vastgesteld: Regionale Woonagenda Holland Rijnland 2023. Dit document vervangt de vorige woonagenda uit 2017.
 
Met de nieuwe regionale woonagenda willen de gemeenten het wonen in de regio versterken. Dat gebeurt door meer te sturen op een goed evenwicht tussen vraag en aanbod op de regionale woningmarkt en door keuzes te maken die de kwaliteit van wonen in de regio versterken. Er worden specifieke opgaven geagendeerd, zoals het bouwen van voldoende sociale huurwoningen, het huisvesten van de vergrijzende bevolking en bijzondere doelgroepen als gevolg van de extramuralisering en de huisvestingsopgave voor groepen die tussen wal en schip vallen. Een nieuwe regionale woonagenda helpt de gemeenten door het geven van kaders en richting bij het realiseren van deze opgaven.
 
Sinds de woonagenda uit 2017 zijn goede stappen gezet in de woningproductie. In de periode van 2015 tot 2020 zijn 14.384 woningen toegevoegd aan de woningvoorraad (inclusief sloop). De provinciale Woningbehoefteraming uit 2021 valt echter aanzienlijk hoger uit dan de laatste raming uit 2019. Dit betekent dat verder versneld dient te worden. De woningbehoefte komt uit op 30.500 nieuwe woningen vergeleken met 22.800 in de vorige prognose. Voor de periode 2021-2030 zijn er plannen voor circa 36.500 woningen (direct uitvoerbaar, passende kansen en plannen op basis van afspraken). Rekening houdend met planuitval en -vertraging (30%), is de ruimte om plannen te programmeren 39.650 woningen. Daarbij wordt de woningbouwopgave als vertrekpunt van de programmering gezien en nadrukkelijk niet als contingent. Het is een richtsnoer voor het ontwikkelen en realiseren van plannen, met focus op de juiste kwaliteiten en de juiste locaties.
 
Uit het woningmarktonderzoek komt een duidelijke opgave naar voren om sterker in te zetten op betaalbaarheid. Het wordt van belang geacht om doelgroepen met lage- en middeninkomens die in de huidige woningmarkt nauwelijks aan bod komen perspectief te bieden. Naast een groeiende behoefte aan sociale huur wordt een tekort aan woningen voor middeninkomens gesignaleerd.
 
Planspecifiek
     
Floraweg 10
Door de omzetting naar burgerwoning is het mogelijk dat de woning door derden bewoond wordt. Er wordt daarmee feitelijk geen woning toegevoegd, maar de woning maakt wel, in tegenstelling tot een bedrijfswoning, onderdeel uit van de reguliere woningmarkt. De in de Regionale Woon Agenda beschreven ambities vormen geen belemmeringen voor deze wijziging.
 
Floraweg 31a
Aan de Floraweg 31a wordt in de beoogde situatie een bedrijfswoning gerealiseerd. Bedrijfswoningen hebben geen betrekking tot de woningmarkt. Het is daarom niet relevant om de Floraweg 31a te behandelen in deze paragraaf.
 
Geconcludeerd kan worden dat de ontwikkeling in lijn is met de regionale woonagenda.
 
3.4 Gemeentelijk beleid
3.4.1 Omgevingsvisie Kaag en Braassem
De gemeenteraad van de gemeente Kaag en Braassem heeft op 26 oktober 2020 de 'Omgevingsvisie Kaag en Braassem' vastgesteld. De omgevingsvisie betreft de strategische langetermijnvisie voor de fysieke leefomgeving van Kaag en Braassem. De toekomst van de fysieke leefomgeving wordt daarbij vanuit een integraal perspectief benaderd. Dat wil zeggen dat sociale, economische en fysieke vraagstukken in samenhang worden beschouwd en vervolgens vertaald naar de fysieke leefomgeving. De omgevingsvisie gaat in op verschillende thema's zoals recreatie, natuur, onderwijs, mobiliteit, gezondheid, wonen, landbouw, economie en duurzaamheid. Verder is de gemeente in vier gebiedstypen ingedeeld. Voor de verschillende gebieden zijn de kenmerken en waarden bepaald, zodat het duidelijk is hoe zo’n gebied eruit ziet en wat het beeld voor de toekomst is.
    
De gemeente Kaag en Braassem wil met de omgevingsvisie samenwerking verder uitdragen en stimuleren tussen organisaties, inwoners en de gemeente. Samenwerken vanuit een gezamenlijke verantwoordelijkheid, maar ieder vanuit zijn eigen rol. Doordat de rol van de gemeente steeds verschillend is, wordt per opgave, per thema of per taak aangegeven welke rol de gemeente zal innemen.
 
In de omgevingsvisie staan volgende thema's centraal:
  • energie & grondstoffen in Kaag en Braassem;
  • natuur, water en lucht in Kaag en Braassem;
  • wonen in Kaag en Braassem;
  • gezonde economische ontwikkeling in Kaag en Braassem;
  • sociaal Kaag en Braassem;
  • veilig Kaag en Braassem.
In de omgevingsvisie wordt per thema's aangegeven wat de gewenste beweging is en wat men wenst te bereiken. Dit resulteert vervolgens in specifieke uitgangspunten voor een bepaald thema.
 
Gebiedstype - glastuinbouw
Naast de bovengenoemde thema's wordt in de omgevingsvisie de gemeente opgedeeld in vier verschillende soorten gebieden, namelijk het buitengebied, glastuinbouwgebieden, bedrijventerreinen en de kernen. Binnen ieder gebiedstype spelen verschillende belangen en thema’s. In de omgevingsvisie wordt per gebiedstype een beschrijving van het gebied gegeven met de doelen en de specifieke uitgangspunten waarbinnen deze doelen bereikt moeten worden.
 
De gemeente heeft vier duurzame glastuinbouwgebieden, waarvoor een contour is vastgesteld in de visie van de Greenport Aalsmeer. Dit zijn: De Baan-Sotaweg, Geestweg-Floraweg, Tuinbouwgebied Nieuwe Wetering en Tuinbouwgebied Woubrugge. Er moet op den duur realistisch worden gekeken naar het toekomstperspectief van de verschillende gebieden. Eventuele mogelijkheid van (tijdelijke) transformatie van de gebieden wordt hierbij niet uitgesloten. Voor nu blijft de algemene ambitie voor toekomstbestendige glastuinbouwgebieden staan.
 
Planspecifiek
De planlocaties maken onderdeel uit van het gebiedstype 'glastuinbouw'. De focus binnen dit gebied ligt op de glastuinbouwactiviteiten. In het voorgenomen plan voor de Floraweg 31a wordt een bedrijfswoning gerealiseerd, dit levert een bijdrage aan de toekomst voor glastuinbouw. Het initiatief voorziet in passende woningen.
 
De gemeente kiest voor een leefbaar en toekomstbestendig Kaag en Braassem. Hierbij hoort ook een kansrijke toekomst voor de glastuinbouwsector. De focus in glastuinbouwgebieden ligt op glastuinbouwactiviteiten. Zo is er bijvoorbeeld geen ruimte voor horeca, verblijfsrecreatie, evenementen, woningbouw en aan huis verbonden beroepen en bedrijven. De omzetting van een bedrijfswoning naar een burgerwoning aan de Floraweg 10 wordt hier in beginsel niet uitgesloten. Dit is dan ook geen ontwikkeling die afbreuk doet aan het karakter van het glastuinbouwgebied.
 
De omgevingsvisie gaat ook specifiek in op bedrijfswoningen en het beleid van de gemeente ten aanzien van bedrijfswoningen. De gemeente is terughoudend als het gaat om het meewerken aan nieuwe bedrijfswoningen. Hiervoor moet de doelmatigheid en noodzakelijkheid aangetoond worden. Daarnaast mogen bedrijfswoningen onder voorwaarden omgezet worden naar een plattelandswoning. In een enkel geval kunnen bedrijfswoningen ook omgezet worden naar burgerwoning. Bij onderhavige ontwikkeling zijn beide gevallen van toepassing. De gemeente heeft aangegeven mee te werken met de nieuwe bedrijfswoning en de omzetting naar burgerwoning.
 
Tot slot wordt het uitgangspunt 'Nieuwe ontwikkelingen moeten passen bij de aard en schaal van een gebied'. De ontwikkeling van een bedrijfswoning aan de Floraweg 31a sluit aan op dit uitgangspunt. Deze functie past goed bij de aard en schaal van het gebied.
 
De Omgevingsvisie stelt geen aanvullende eisen ten aanzien van het voorgenomen plan op de betreffende locatie. Gesteld kan worden dat onderhavig plan in lijn is met de uitgangspunten van de omgevingsvisie.
 
3.4.2 Welstandsnota
Op 6 september 2010 heeft de gemeenteraad van Kaag en Braassem een nieuwe welstandsnota vastgesteld. De welstandsnota bevat de basisvoorwaarden, waaraan bouwaanvragen op welstands-aspecten getoetst zullen worden en het legt voor bepaalde gebieden beoordelingskaders vast. Dit is opgesteld vanuit een visie op de toekomst van het gebied en vanuit een beeld van aanwezige waarden. Er zijn criteria benoemd die bijdragen dat de toekomstige bebouwing past in de omgeving. De gemeentelijke welstandsnota richt zich daarmee op bestaande karakteristieken.
 
In het welstandsbeleid heeft de initiatiefnemer veel vrijheid. Dit betekent dat er in principe geen welstandstoets wordt gedaan, met uitzondering van de monumenten en beschermde dorpsgezichten. Uitgangspunt voor het welstandsbeleid is dat de cultuurhistorisch waardevolle gebouwen en gebieden beschermd worden. Alle bouwwerken aan- of bij (het perceel van) een monument of in een beschermd dorpsgezicht zijn vergunningsplichtig. Deze vergunningsplichtige gebieden zijn weergegeven op de welstandskaart.
 
Planspecifiek
De plangebieden liggen ten zuidwesten van de kern Roelofarendsveen en zijn gelegen in een welstandsluw gebied. Binnen en in de directe omgeving van de plangebieden zijn geen monumenten aanwezig, Tevens maken de plangebieden geen onderdeel uit van een beschermd dorpsgezicht. Aan de ontwikkeling worden vanuit het gemeentelijk welstandsbeleid geen nadere voorwaarden gesteld. 
 
4 Milieu- en omgevingsaspecten
 
4.1 Milieueffectrapportage
De milieueffectrapportage (m.e.r.) is een hulpmiddel om bij diverse procedures het milieubelang een volwaardige plaats in de besluitvorming te geven. Een m.e.r. is verplicht bij de voorbereiding van plannen en besluiten van de overheid over initiatieven en activiteiten van publieke en private partijen die belangrijke nadelige gevolgen voor het milieu kunnen hebben. De m.e.r. is wettelijk verankerd in hoofdstuk 7 van de Wet milieubeheer. Naast de Wet milieubeheer is het Besluit m.e.r. belangrijk om te kunnen bepalen of bij de voorbereiding van een plan of een besluit de m.e.r.-procedure moet worden doorlopen. Bij toetsing aan het Besluit m.e.r. zijn er vier mogelijkheden:
  1. het plan of besluit is direct m.e.r.-plichtig;
  2. het plan of besluit bevat activiteiten uit kolom 1 van onderdeel D, en ligt boven de (indicatieve) drempelwaarden, zoals beschreven in kolom 2 ‘gevallen’, van onderdeel D. Het besluit moet eerst worden beoordeeld om na te gaan of er sprake is van m.e.r.-plicht: het besluit is dan m.e.r.-beoordelingsplichtig. Voor een plan in kolom 3 ‘plannen’ geldt geen m.e.r-beoordelingsplicht, maar direct een (plan-)m.e.r.-plicht;
  3. het plan of besluit bevat wel de activiteiten uit kolom 1, maar ligt beneden de drempelwaarden, zoals beschreven in kolom 2 ‘gevallen’, van onderdeel D: er dient in overleg met de aanvrager van het bijbehorende plan of besluit beoordeeld te worden of er aanleiding is voor het uitvoeren van een m.e.r.-beoordeling (als sprake is van een besluit) of het direct uitvoeren van een m.e.r. (als sprake is van een plan). Deze keuze wordt uiteindelijk in het bijbehorende plan of besluit gemotiveerd;
  4. de activiteit(en) of het betreffende plan en/of besluit worden niet genoemd in het Besluit m.e.r.: er geldt geen m.e.r.-(beoordelings)plicht.
Sinds 16 mei 2017 geldt er een directe werking van het Europees recht. Daarom is per 7 juli 2017 het gewijzigde Besluit m.e.r. in werking getreden. In de gewijzigde Besluit m.e.r. staat de nieuwe procedure voor de vormvrije m.e.r.-beoordeling. Voor elke aanvraag, waarbij een vormvrije m.e.r.-beoordeling aan de orde is, moet:
  • Door de initiatiefnemer een aanmeldingsnotitie worden opgesteld;
  • Het bevoegd gezag binnen 6 weken een m.e.r.-beoordelingsbesluit nemen. Dit besluit hoeft niet in de Staatscourant gepubliceerd te worden;
  • De initiatiefnemer het (vormvrije) m.e.r.-beoordelingsbesluit bij de vergunningaanvraag voegen (Artikel 7.28 Wet milieubeheer).
De artikelen 7.16 tot en met 7.20a Wm zijn in de nieuwe wetgeving voor alle in het Besluit m.e.r. genoemde activiteiten van de D-lijst van toepassing.
 
Planspecifiek
 
Floraweg 31a
Uit een uitspraak van de Afdeling Bestuursrechtspraak van de Raad van State (ECLI:NL:RVS:2018:2414, 18 juli 2018) blijkt dat het antwoord op de vraag of er sprake is van een (wijziging van een) stedelijk ontwikkelingsproject in de zin van het Besluit milieueffectrapportage afhangt van de concrete omstandigheden van het geval, waarbij onder meer aspecten als aard en omvang van de voorziene wijzigingen van de stedelijke ontwikkeling een rol spelen. Daarbij mogen de bestaande planologische mogelijkheden worden meegewogen bij de vraag of er sprake is van een stedelijke ontwikkeling.
  
De bebouwingsmogelijkheden nemen bij het voorgenomen plan vergeleken met de bestaande (planologische) situatie beperkt toe. De sloop van een gebouw en de realisatie van één woning betreft een wijziging die naar aard en omvang zeer beperkt is. Bovendien nemen de gebruiksmogelijkheden nauwelijks toe, omdat de gronden reeds voor wonen zijn bestemd. Er is daarmee geen sprake van een stedelijk ontwikkelingsproject als bedoeld in categorie 11.2 van onderdeel D van de bijlage bij het Besluit milieueffectrapportage. Uit toetsing aan het Besluit m.e.r. volgt dat het besluit tot vaststelling van voorliggend ruimtelijk plan valt onder mogelijkheid d. Dit betekent dat het Besluit milieueffectrapportage niet van toepassing is en dat er geen m.e.r.-(beoordelings)plicht geldt.
 
Desondanks zijn in het kader van dit ruimtelijk plan de belangrijkste milieuaspecten waaronder bodem, luchtkwaliteit, geluid, externe veiligheid en ecologie in beeld gebracht. Hieruit is niet gebleken dat er sprake is van een ontwikkeling die een forse invloed heeft op het milieu. Belangrijke milieugevolgen kunnen worden uitgesloten. De huidige onderzoeken geven voldoende inzicht in de milieugevolgen om een gewogen besluit omtrent dit ruimtelijke plan te nemen. Het opstellen van een milieueffectrapportage zal geen verder inzicht verschaffen op de relevante milieuaspecten. De kenmerken van het project, de plaats van het project en de kenmerken van de potentiële effecten zijn niet van dien aard dat er aanleiding bestaat tot het opstellen van een milieueffectrapportage.
    
Floraweg 10
Uit een uitspraak van de Afdeling Bestuursrechtspraak van de Raad van State (ECLI:NL:RVS:2018:2414, 18 juli 2018) blijkt dat het antwoord op de vraag of er sprake is van een (wijziging van een) stedelijk ontwikkelingsproject in de zin van het Besluit milieueffectrapportage afhangt van de concrete omstandigheden van het geval, waarbij onder meer aspecten als aard en omvang van de voorziene wijzigingen van de stedelijke ontwikkeling een rol spelen. Daarbij mogen de bestaande planologische mogelijkheden worden meegewogen bij de vraag of er sprake is van een stedelijke ontwikkeling.
 
De bebouwingsmogelijkheden blijven bij het voorgenomen plan gelijk aan de bestaande (planologische) situatie. Er is daarmee geen sprake van een stedelijk ontwikkelingsproject als bedoeld in categorie 11.2 van onderdeel D van de bijlage bij het Besluit milieueffectrapportage. De kenmerken van het project, de plaats van het project en de kenmerken van de potentiële effecten zijn niet van dien aard dat er aanleiding bestaat tot het opstellen van een milieueffectrapportage. Er hoeft geen (vormvrij) m.e.r.-beoordelingsbesluit te worden genomen.
   
4.2 Bodem
Ten behoeve van een goede ruimtelijke ordening moet worden aangetoond dat de kwaliteit van de bodem en het grondwater in het plangebied in overeenstemming zijn met het beoogde gebruik. Dit is geregeld in de Wet bodembescherming. Ontwikkelingen kunnen pas plaatsvinden als de bodem waarop deze ontwikkelingen plaatsvinden geschikt is of geschikt is gemaakt voor het beoogde doel.
 
Bij een bestemmingswijziging is een bodemonderzoek slechts noodzakelijk, indien de bestemmingswijziging tevens een wijziging naar een strenger bodemgebruik inhoudt. Bij een bestemmingswijziging die een gelijkblijvend of minder streng bodemgebruik oplevert, is de bodemkwaliteit in het kader van de bestemmingswijziging niet relevant en is bodemonderzoek niet noodzakelijk.
 
Planspecifiek
 
Floraweg 10
Voor de functiewijziging aan de Floraweg 10 is geen nieuw bodemonderzoek nodig. De grond zal niet geroerd worden en de bestaande bebouwing zal behouden blijven. Uit informatie van het bodemloket blijkt dat de locatie voldoende is onderzocht. De resultaten van het eerder op deze locatie uitgevoerde bodemonderzoek geven aan dat de activiteiten en/of de onderzoekslocatie voldoende zijn onderzocht in de kader van de Wet bodembescherming.
    
Floraweg 31a
Om aan te tonen dat de kwaliteit van de bodem en het grondwater geschikt is voor het beoogde gebruik van de gronden voor wonen, heeft SGS Search een verkennend bodemonderzoek uitgevoerd (SGS Search, 14 januari, 2022, zie bijlagen bij toelichting bijlage 1). Op basis van dit onderzoek kan het volgende worden geconcludeerd:
 
Aan de hand van de beschikbare historische gegevens is een verkennend bodemonderzoek uitgevoerd. De locatie is verdacht vanwege bedrijfsmatige activiteiten zoals bloemkwekerij.
 
De bovengrond is licht verontreinigd met zink, kwik en drins (aldrin+dieldrin+endrin). De ondergrond is licht verontreinigd met kwik. In het grondwater zijn licht verhoogde gehaltes aan barium en naftaleen gemeten. De verontreiniging met drins (aldrin+dieldrin+endrin) in de bovengrond is waarschijnlijk te relateren aan de bedrijfsactiviteiten in het verleden als bloemkwekerij. Tijdens de veldwerkzaamheden zijn in de bodem geen bijmengingen met puin waargenomen. Er zijn derhalve geen grondmengmonsters geanalyseerd op asbest.
 
Op basis van de resultaten van het onderzoek wordt geconcludeerd dat de opgestelde hypothese 'verdachte locatie' strikt genomen juist is. Gezien de relatief lage gehalten en de huidige c.q. toekomstige bestemming van de locatie is er echter geen aanleiding tot het verrichten van vervolgonderzoek met een aangepaste hypothese.
 
Op basis van de uitkomsten van het onderzoek hoeven er vanuit milieuhygiënisch oogpunt gezien geen beperkingen te worden gesteld aan het huidige gebruik en de toekomstige ontwikkeling van een nieuwe bedrijfswoning op de locatie.
    
Geconcludeerd kan worden dat het aspect bodem geen belemmering vormt voorde uitvoerbaarheid van de beoogde ontwikkeling.
   
4.3 Geluid
De mate waarin het geluid, het woonmilieu mag belasten, is geregeld in de Wet geluidhinder (Wgh). De kern van de wet is dat geluidsgevoelige objecten worden beschermd tegen geluidhinder uit de omgeving. In de Wgh worden de volgende objecten beschermd (artikel 1 Wgh):
  • woningen;
  • geluidsgevoelige terreinen (bij algemene maatregel van bestuur als zodanig aangewezen terrein dat vanwege de bestemming of het gebruik daarvan bijzondere bescherming tegen geluid behoeft);
  • andere geluidsgevoelige gebouwen (bij algemene maatregel van bestuur als zodanig aangewezen gebouw dat vanwege de bestemming of het gebruik daarvan bijzondere bescherming tegen geluid behoeft, niet zijnde een woning).
Het beschermen van deze geluidsgevoelige objecten gebeurt aan de hand van vastgestelde zoneringen. De belangrijkste geluidsbronnen die in de Wet geluidhinder worden geregeld zijn: industrielawaai, wegverkeerslawaai en spoorweglawaai.
 
De meest voorkomende vorm van geluidhinder is degene die wordt veroorzaakt door het wegverkeer. Zo stelt de wet dat in principe de geluidsbelasting op woningen de voorkeursgrenswaarde van 48 dB niet mag overschrijden. De voorkeursgrenswaarden is de waarde die zonder meer kan worden toegestaan. Indien nieuwe geluidsgevoelige functies worden toegestaan, stelt de Wet geluidhinder de verplichting akoestisch onderzoek te verrichten naar de geluidsbelasting ten gevolge van alle wegen, met uitzondering van 30 km/uur wegen, op een bepaalde afstand van de geluidsgevoelige functie(s). Indien na akoestisch onderzoek blijkt dat de grenswaarden van de gevelbelasting worden overschreden dient er een ontheffing te worden verkregen via een hogere voorkeursgrenswaarde procedure. De maximale ontheffingswaarde voor nieuw te bouwen woningen in stedelijk gebied is 63 dB.
 
Planspecifiek
Floraweg 10
Een burgerwoning is geluidgevoelig ingevolge de Wgh. De betreffende woning is niet gelegen binnen de geluidszone van de A4 en de HSL. Vanuit de Wet geluidhinder wordt er echter geen onderscheid gemaakt tussen een bedrijfswoning en een burgerwoning. Er is dus geen sprake van een nieuwe situatie. Er kan derhalve vanuit worden gegaan dat een goed woon- en leefklimaat ten aanzien van het wegverkeers- en spoorweglawaai het geval is.
  
Floraweg 31a 
Wonen is een geluidgevoelige functie in het kader van de Wet geluidhinder. De ontwikkeling ligt binnen de bebouwde kom van Roelofarendsveen binnen de geluidzone van het Floraweg op 12 meter uit de as van de weg en binnen de geluidzone van de Kerkweg op 152 meter uit de as van de weg. De locatie ligt eveneens binnen de geluidzone van de A4 op 560 meter uit de as van de weg. Om die reden is een akoestisch onderzoek naar wegverkeerlawaai uitgevoerd (Adviesburo van der Boom, 13 december 2022, zie bijlagen bij toelichting bijlage 2). Uit dit onderzoek zijn de volgende resultaten naar voren gekomen.
 
De geluidbelasting door wegverkeer op de A4 bedraagt ten hoogste 48 dB na aftrek van 2 dB op de gevels van de woning. De voorkeursgrenswaarde van 48 dB wordt niet overschreden. De geluidbelasting door wegverkeer op de Floraweg bedraagt ten hoogste 46 dB na aftrek van 5 dB op de gevels van de woning. De voorkeursgrenswaarde van 48 dB wordt niet overschreden. De geluidbelasting door wegverkeer op de Kerkweg bedraagt ten hoogste 20 dB op de gevels van de woning. De voorkeursgrenswaarde van 48 dB wordt niet overschreden.
 
Er hoeft geen hogere waarde voor de geluidbelasting door wegverkeer te worden verleend.
 
Bij het toetsen of sprake is van een “goede ruimtelijke ordening” is aangesloten bij het toetsingskader van de Wgh en van het geluidbeleid van de gemeente. Aan deze toetsingskaders kan zonder maatregelen worden voldaan. De geluidbelasting door alle wegen samen bedraagt ten hoogste 53 dB op de gevels van de woning. Voor het aspect geluid zal sprake zijn van een goede ruimtelijke ordening als daarnaast voldaan wordt aan de eisen voor het verlenen van een hogere waarde en als voor de woning wordt voldaan aan de eisen voor de geluidwering conform het Bouwbesluit.
 
Voor de gevels van de woning, met een geluidbelasting van ten hoogste 53 dB zonder aftrek, bedraagt de benodigde karakteristieke geluidwering GA;k 20 dB. Dit is de minimale waarde conform het Bouwbesluit. Voor de gevels zijn geen aanvullende geluidwerende voorzieningen nodig.
  
Geconcludeerd kan worden dat het aspect geluid geen belemmering vormt voor de voorgenomen ontwikkeling.
 
4.4 Bedrijven en milieuzonering
Het aspect milieuzonering gaat in op de invloed die bedrijven kunnen hebben op hun omgeving. Deze invloed is afhankelijk van de afstand tussen een gevoelige bestemming en de bedrijvigheid. Milieugevoelige bestemmingen zijn gebouwen en terreinen die naar hun aard bestemd zijn voor het verblijf van personen gedurende de dag of nacht of een gedeelte daarvan (bijvoorbeeld woningen). Daarnaast kunnen ook landelijke gebieden en/of andere landschappen belangrijk zijn bij een zonering tot andere, minder gevoelige, functies zoals bedrijven.
 
Bij een ruimtelijke ontwikkeling kan sprake zijn van reeds aanwezige bedrijvigheid en van nieuwe bedrijvigheid. Milieuzonering zorgt er voor dat nieuwe bedrijven een juiste plek in de nabijheid van de gevoelige functie krijgen en dat de (nieuwe) gevoelige functie op een verantwoorde afstand van bedrijven komen te staan. Doel hiervan is het waarborgen van de veiligheid en het garanderen van de continuïteit van de bedrijven als ook een goed klimaat voor de gevoelige functie.
 
Milieuzonering beperkt zich tot milieuaspecten met een ruimtelijke dimensie zoals: geluid, geur, gevaar en stof. De mate waarin de milieuaspecten gelden en waaraan de milieucontour wordt vastgesteld, is voor elk type bedrijvigheid verschillend. De 'Vereniging van Nederlandse Gemeenten' (VNG) geeft sinds 1986 de publicatie 'Bedrijven en Milieuzonering' uit. In deze publicatie is een lijst opgenomen, met daarin de minimale richtafstanden tussen een gevoelige bestemming en bedrijven. Indien van deze richtafstanden afgeweken wordt dient een nadere motivatie gegeven te worden waarom dat wordt gedaan.
 
Het belang van milieuzonering wordt steeds groter aangezien functiemenging steeds vaker voorkomt. Hierbij is het motto: 'scheiden waar het moet, mengen waar het kan'. Het scheiden van milieubelastende en milieugevoelige bestemmingen dient twee doelen:
  • het reeds in het ruimtelijk spoor voorkomen of zoveel mogelijk beperken van hinder en gevaar bij gevoelige bestemmingen;
  • het bieden van voldoende zekerheid aan de milieubelastende activiteiten (bijvoorbeeld bedrijven) zodat zij de activiteiten duurzaam, en binnen aanvaardbare voorwaarden, kunnen uitoefenen.
Planspecifiek
Het voorgenomen plan voorziet in het omzetten van de bedrijfswoning aan de Floraweg 10 naar een burgerwoning.  In het kader van een goede ruimtelijke ordening dient aangetoond te worden dat ter plaatse van gevoelige bestemmingen sprake is van een goed woon- en leefklimaat. De bedrijven in de omgeving mogen geen belemmering vormen voor een goed woon- en leefklimaat.  Andersom mag deze gevoelige bestemming de bedrijven in de omgeving niet beperken in zijn mogelijkheden.
 
De VNG-publicatie stelt dat een gebied aangewezen kan worden als gemengd gebied indien er sprake is van een matige tot sterke functiemenging. Gezien de mix van wonen en bedrijvigheid aan het bebouwingslint kan uitgegaan worden van een gemengd gebied. Dit betekent dat de richtafstanden met één afstandsstap kunnen worden verminderd, met uitzondering van het aspect gevaar.
 
Floraweg 10
In de omgeving van de beoogde burgerwoning aan de Floraweg 10 zijn (glas)tuinbouwbedrijven gevestigd. Omdat de voormalige bedrijfswoning als burgerwoning wordt bestemd, is de milieuhinder van het bedrijf waar het vanaf gesplitst wordt relevant. De richtafstand van glastuinbouw (SBI-code 011, 012, 013) met milieucategorie 2 in gemengd gebied is 10 m. Direct achter de bestaande woning staat een kassencomplex met bijbehorende bedrijfsbebouwing. Binnen de bestemming 'Agrarisch - Glastuinbouw' is de teelt van (tuinbouw- en /of sierteelt)gewassen toegestaan. Bij tuinbouw zijn slechts de bedrijfsgebouwen en kassen milieugezoneerd. Hierbij is het aspect geluid maatgevend. Dit dient beschouwd te worden.
 
Het voorste deel van de bedrijfsgebouwen wordt voornamelijk gebruikt voor opslag, daarachter staan de kassen. De afstand tot de kassen zelf is dusdanig dat emissie van geur of de verspreiding van nevel van bestrijdingsmiddelen daarmee uitgesloten is. De woning ligt op 7,5 m van het noordelijke bedrijfsgebouw waar in een koelcel tulpen worden opgeslagen en daarmee binnen de richtafstand. De direct aan de woning grenzende schuur vormt een buffer naar dit bedrijfsgebouw. Deze is namelijk in gebruik als schuur bij de woning en hier vinden geen bedrijfsactiviteiten plaats. De woning ligt op 3,5 m afstand van het meest zuidelijk gelegen bedrijfsgebouw. Het voorste deel van dit gebouw is als kantine en hal in gebruik. De kantine is een af te sluiten ruimte zonder ramen of deuren die direct van buiten toegankelijk zijn.  De afstand tot de daarachter gelegen koelcel bedraagt 7,5 m. Daarmee ligt de woning binnen de richtafstand. Het gebruik van de koelcel genereert op deze plaats weinig geluid, de koelmotoren zijn aan de noordzijde van de koelcel op ca. 14 m van de woning geplaatst. Tevens wordt de zuidgevel en de tuin afgeschermd van de koelcel door een schutting.
Bij het bedrijf komt gemiddeld één vrachtwagen per dag laden en lossen. Daarnaast worden er tweeauto's van het personeel geparkeerd. Het bedrijf heeft twee toegangen, één aan de noordkant die uitkomt in een schuur. Hier vinden geen verkeersbewegingen plaats. De verkeersbewegingen vinden plaats bij de toegang aan de zuidkant dit is de uit- en ingang voor het perceel. Derhalve hebben de verkeersbewegingen slechts aan één zijde van de woning invloed. De verkeersbewegingen en het laden en lossen zijn derhalve van een zeer beperkte mate en omvang.
Naar verwachting is er geen dusdanige hinder te verwachten dat er afbreuk wordt gedaan aan een goed woon- en leefklimaat. In het geval dat de achtergelegen gronden tot woningbouw worden herontwikkeld, worden de betreffende kassen en bedrijfsgebouwen gesloopt.
   
Afgezien van het kassencomplex achter de woning dient ook de ligging ten opzichte van andere bedrijfslocaties in de omgeving beschouwd te worden. Ondanks het feit dat een burgerwoning dezelfde bescherming geniet tegen de omliggende bedrijven als een bedrijfswoning worden eventuele milieugevolgen van bedrijven van derden beschouwd. In de omgeving van het plangebied zijn voornamelijk glastuinbouwbedrijven aanwezig. Voor een glastuinbouwbedrijf geldt, gebaseerd op de VNG-brochure bedrijven en milieuzonering, een richtafstand van 10 m in gemengd gebied. De dichtstbijzijnde kassen van derden bevinden zich ten zuidwesten van de beoogde burgerwoning, op een afstand van 10 m. Daarmee wordt voldaan aan de richtafstand en wordt het bedrijf niet verder in haar bedrijfsvoering gehinderd. Er is naar verwachting sprake van een goed woon- en leefklimaat op de locatie. In artikel 6.2 van de planregels is de minimale afstand van de woning tot kassen opgenomen. Het gaat hier om glazen kassen, zoals gedefinieerd in het bestemmingsplan. Het bedrijf is opgericht op 1 januari 1964 en het gaat om een categorie II object, daarom geldt een afstand van 10 m. Zoals hierboven beargumenteerd wordt aan deze afstand voldaan.
 
Daarmee vormt het aspect bedrijven en milieuzonering voor de woning aan de Floraweg 10 geen belemmering.    
       
Floraweg 31a
In de directe omgeving van het plangebied zijn glastuinbouwcomplexen en (bedrijfs)woningen aanwezig. De beoogde bedrijfswoning mag niet binnen de milieuzonering van deze glastuinbouw worden gerealiseerd. De milieuzonering van glastuinbouw is middels richtafstanden geregeld in de VNG-publicatie Bedrijven en Milieuzonering. In het Activiteitenbesluit zijn geen afstandseisen opgenomen. Gelijk als in de VNG-publicatie is in het bestemmingsplan 'Geestweg en Floraweg' aangegeven dat een afstand van 10 meter voldoende is om de bedrijfsvoering van de glastuinbouw en een goed woon- en leefklimaat ter hoogte van de woning te borgen. De dichtstbijzijnde kassen bevinden zich ten zuidoosten van de beoogde bedrijfswoning, op een afstand van ca. 32 m.
Daarmee wordt voldaan aan de richtafstand en worden de omliggende bedrijven niet verder in haar bedrijfsvoering gehinderd. Er is naar verwachting sprake van een goed woon- en leefklimaat op de locatie.
  
Gewasbeschermingsmiddelen
Nabij het plangebied zijn gronden ten behoeve van sierteelt in gebruik. Op deze gronden kunnen gewasbeschermingsmiddelen worden gebruikt. Gelet op de planologische mogelijkheden (teelt van fruitbomen, bosbouw of bollenteelt is niet toegestaan) zal er sprake zijn van relatief lage bespuiting. In het kader van een goede ruimtelijke ordening is drift van gewasbeschermingsmiddelen van belang. Het neerkomen van een deel van de gewasbeschermingsmiddelen door wind heeft namelijk mogelijk effect op de gezondheid van de mensen in de omgeving.
 
De gronden die in gebruik zijn voor sierteelt bevinden zich ten oosten van de woonbestemming. De gronden ten noorden en noordoosten van het plangebied zijn in gebruik als tuin. Er zijn geen wettelijke eisen voor de minimaal aan te houden afstanden tussen gronden waarop gewassen worden geteeld en gevoelige bestemmingen zoals wonen. Uit jurisprudentie (uitspraak van 23 juni 2004, ECLI:NL:RVS:2004:AP3436) blijkt dat de Afdeling bestuursrechtspraak van de Raad van State (ABRvS) een afstand van 50 m tussen een gevoelige functie en agrarische bedrijvigheid waarbij gewasbeschermingsmiddelen worden gebruikt redelijk acht. Deze afstand is echter indicatief. Hier kan gemotiveerd van afgeweken worden. Hierbij dient de afstand en situatie dusdanig te zijn, zodat sprake is van een aanvaardbaar woon- en leefklimaat ter plaatse van de gevoelige functie.
 
De ABRvS geeft in haar uitspraak van 31 augustus 2016 (ECLI:NL:RVS:2016:2373) aan dat het mogelijk is om bij vollegrondsteelt van gewassen, waarbij gewasbeschermingsmiddelen worden gebruikt, af te wijken van de vuistregel van 50 m. Bij dergelijke vollegrondsteelt worden gewasbeschermingsmiddelen, in tegenstelling tot boom- en fruitteelt, op een zodanige wijze gebruikt dat daarbij nauwelijks een spuitnevel ontstaat die de omgeving negatief kan beïnvloeden. Bij de betreffende uitspraak wordt een afstand van 9,5 m als voldoende geacht, mede omdat het woonerf is afgeschermd door een haag, die eventuele resten van gewasbeschermingsmiddelen zal tegenhouden.
 
Tevens wordt bij de afstand van 50 m uitgegaan van gewasbespuiting zonder enige vorm van driftreductie. Op grond van artikel 3.78a van het Activiteitenbesluit geldt dat er verplicht ten minste 75% driftreducerend gespoten moet worden. Daarmee gelden strengere normen dan waarvan de ABRvS in haar uitspraken is uitgegaan.
 
Tussen de gronden en de beoogde woonbestemming wordt een strook van ca. 30 m breed die niet gebruikt wordt ten behoeve van sierteelt. Hier staan siergrassen die, mede doordat ze in het seizoen dat er gespoten wordt een lengte van minimaal 150 cm hebben, een driftreducerende werking hebben. Volgens het geldende bestemmingsplan kan het hele agrarische perceel echter worden gebruikt voor sierteelt. Er kan eventueel sierteelt plaatsvinden tot aan de plangrens. In de huidige situatie is dat niet het geval. Ten zuiden van de sierteeltgronden is een watergang aanwezig. Volgens de regelgeving mag er geen gewasbeschermingsmiddel in het oppervlaktewater kunnen komen. Met een spuitvrije zone en toepassingseisen van de chemische middelen kan ervan uitgegaan worden dat de drift van de middelen niet via de watergangen bij het woonperceel kan komen. De tuin van de woning kan worden voorzien van een haag, die als afscherming fungeert. Dit groen zal, samen met de zone met siergrassen, ervoor zorgen dat eventuele resten van gewasbeschermingsmiddelen tegengehouden zullen worden. Er zal aan de toekomstige bewoners geadviseerd worden om ramen en deuren te sluiten zodra het spuiten plaatsvindt om de nadelige gevolgen voor de gezondheid zo klein mogelijk te maken. Er kan gesteld worden dat er sprake is van een goed woon- en leefklimaat. Er vinden geen verkeersbewegingen plaats ten behoeve van deze gronden. Daarmee kan geluidhinder vanwege voertuigen redelijkerwijs uitgesloten worden en vormt dit aspect geen belemmering voor een woon- en leefklimaat ter plaatse van de beoogde appartementen.
 
Voorts dient beoordeeld te worden of de bedrijfswoning van de ecologische kwekerij een goed woon- en leefklimaat bij de nabijgelegen woningen bedreigt. Van een bedrijfswoning mag worden verondersteld dat deze passend is in een goed woon- en leefklimaat bij andere woningen. Daarmee vormt het aspect bedrijven en milieuzonering voor de woning aan de Floraweg 31a geen belemmering. 
 
Geconcludeerd kan worden dat het aspect bedrijven en milieuzonering geen belemmering vormt voor de beoogde ontwikkeling.
 
4.5 Luchtkwaliteit
In de Wet milieubeheer gaat paragraaf 5.2 over luchtkwaliteit en staat ook wel bekend als de ‘Wet luchtkwaliteit’. Deze wet introduceert het onderscheid tussen 'kleine' en 'grote' projecten. Kleine projecten dragen 'niet in betekenende mate' (NIBM) bij aan de verslechtering van de luchtkwaliteit. Een paar honderd grote projecten dragen juist wel 'in betekenende mate' bij aan de verslechtering van de luchtkwaliteit. Het gaat hierbij vooral om bedrijventerreinen en infrastructuur (wegen).
 
Wat het begrip 'in betekenende mate' precies inhoudt, staat in de algemene maatregel van bestuur ‘Niet in betekenende mate bijdragen’ (Besluit NIBM). Op hoofdlijnen komt het erop neer dat 'grote' projecten die jaarlijks meer dan 3% bijdragen aan de jaargemiddelde norm van 1,2 µg/m³ voor fijnstof (PM10) en stikstofdioxide (NO2) een 'betekenend' negatief effect hebben op de luchtkwaliteit. 'Kleine' projecten die minder dan 3% bijdragen, kunnen doorgaan zonder toetsing. Dat betekent bijvoorbeeld dat lokale overheden een woonwijk van minder dan 1.500 woningen niet hoeven te toetsen aan de normen voor luchtkwaliteit. Deze kwantitatieve vertaling naar verschillende functies is neergelegd in de Regeling 'niet in betekenende mate bijdragen'. 
 
Een belangrijk onderdeel voor de verbetering van de luchtkwaliteit is het Nationale Samenwerkingsprogramma Luchtkwaliteit (NSL). Binnen dit NSL, dat sinds 1 augustus 2009 in werking is, werken het Rijk, de provincies en gemeenten samen om de Europese eisen voor luchtkwaliteit te realiseren.
 
Planspecifiek
Met het voorgenomen plan wordt een nieuwe bedrijfswoning mogelijk gemaakt en wordt een bedrijfswoning omgezet naar een burgerwoning.  In de regeling NIBM is een aantal activiteiten, zoals projecten tot 1.500 woningen met één ontsluitingsweg (3.000 met twee ontsluitingswegen) bij voorbaat aangemerkt als niet in betekende mate. De voorgenomen ontwikkeling kan derhalve gezien worden als een NIBM-project; de ontwikkeling draagt 'niet in betekende mate' bij aan de verslechtering van de luchtkwaliteit, waardoor het niet hoeft te worden getoetst aan de wettelijke luchtkwaliteitsnormen. Hieruit kan worden opgemaakt dat de ontwikkeling geen bijdrage levert aan de verslechtering van de luchtkwaliteit en past binnen de kaders van de Wet luchtkwaliteit.
 
Wel is, met behulp van de Atlas Leefomgeving, gekeken naar de luchtkwaliteit in en rondom het plangebied. Op de volgende afbeeldingen zijn de globale concentraties over 2020 van fijnstof (PM10) en stikstofdioxide (NO2) weergegeven. Hieruit blijkt dat de luchtkwaliteit ter plaatse ruim voldoet aan de gestelde grenswaarde van 40 µg/m³ voor zowel fijnstof als stikstofdioxide.
 
Floraweg 10
De specifieke concentraties over 2020 van fijnstof (PM10), fijnstof (PM2,5) en stikstofdioxide (NO2) in het plangebied bedragen respectievelijk 16,2 μg/m³ PM10, 8,48 μg/m³ PM2,5 en 15,9 μg/m³ NO2. Daarmee worden de wettelijke grenswaarden niet overschreden. Daaruit volgt dat er sprake is van een goed woon- en leefklimaat.
 
Floraweg 31a
De specifieke concentraties over 2020 van fijnstof (PM10), fijnstof (PM2,5) en stikstofdioxide (NO2) in het plangebied bedragen respectievelijk 15,93 μg/m³ PM10, 8,36 μg/m³ PM2,5 en 14,34 μg/m³ NO2. Daarmee worden de wettelijke grenswaarden niet overschreden. Daaruit volgt dat er sprake is van een goed woon- en leefklimaat.
 
Het aspect luchtkwaliteit vormt geen belemmering voor de beoogde ontwikkeling.
 
4.6 Externe veiligheid
Sommige activiteiten brengen risico's op zware ongevallen met mogelijk grote gevolgen voor de omgeving met zich mee. Externe veiligheid richt zich op het beheersen van deze risico's. Het gaat daarbij om onder meer de productie, opslag, transport en het gebruik van gevaarlijke stoffen. Dergelijke activiteiten kunnen een beperking opleggen aan de omgeving. Door voldoende afstand tot de risicovolle activiteiten aan te houden kan voldaan worden aan de normen. Aan de andere kant is de ruimte schaars en het rijksbeleid erop gericht de schaarse ruimte zo efficiënt mogelijk te benutten. Het ruimtelijk beleid en het externe veiligheidsbeleid moeten dus goed worden afgestemd. De wetgeving rond externe veiligheid richt zich op de volgende risico’s:
  • risicovolle (Bevi-)inrichtingen;
  • vervoer gevaarlijke stoffen door buisleidingen;
  • vervoer gevaarlijke stoffen over weg, water of spoor.
Daarnaast wordt er in de wetgeving onderscheid gemaakt tussen de begrippen kwetsbaar en beperkt kwetsbaar en plaatsgebonden risico en groepsrisico.
 
Kwetsbaar en beperkt kwetsbaar
Kwetsbaar zijn onder meer woningen, onderwijs- en gezondheidsinstellingen, kinderopvang- en dagverblijven en grote kantoorgebouwen (>1.500 m²). Beperkt kwetsbaar zijn onder meer kleine kantoren, winkels, horeca en parkeerterreinen. De volledige lijst wat onder (beperkt) kwetsbaar wordt verstaan is in het Besluit externe veiligheid inrichtingen (Bevi) opgenomen.
 
Plaatsgebonden risico en groepsrisico
Het plaatsgebonden risico wordt uitgedrukt in een contour van 10-6 als grenswaarde. Het realiseren van kwetsbare objecten binnen deze contour is niet toegestaan. Het realiseren van beperkt kwetsbare objecten binnen deze contour is in principe ook niet toegestaan. Echter, voor beperkte kwetsbare objecten is deze 10-6-contour een richtwaarde. Mits goed gemotiveerd kan worden afgeweken van deze waarde tot de 10-5-contour.
 
Het groepsrisico is gedefinieerd als de cumulatieve kansen per jaar dat ten minste 10, 100 of 1.000 personen overlijden als rechtstreeks gevolg van hun aanwezigheid in het invloedsgebied van een inrichting en een ongewoon voorval binnen die inrichting waarbij een gevaarlijke stof betrokken is. Voor het groepsrisico geldt geen grenswaarde, maar een zogenaamde oriëntatiewaarde. Daarnaast geldt voor het groepsrisico een verantwoordingsplicht. Het bevoegd gezag moet aangeven welke mogelijkheden er zijn om het groepsrisico in de nabije toekomst te beperken, het moet aangeven op welke manier hulpverlening, zelfredzaamheid en bestrijdbaarheid zijn ingevuld. Het bevoegd gezag moet tevens aangeven waarom de risico's verantwoord zijn, en de veiligheidsregio moet in de gelegenheid zijn gesteld een brandweeradvies te geven. Hierbij geldt hoe hoger het groepsrisico, hoe groter het belang van een goede groepsrisicoverantwoording.
 
Risicovolle (Bevi-)inrichtingen
Voor (de omgeving van) de meest risicovolle bedrijven is het Besluit externe veiligheid inrichtingen (Bevi) van belang. Het Bevi legt veiligheidsnormen op aan bedrijven die een risico vormen voor mensen buiten de inrichting. Het Bevi is opgesteld om de risico's, waaraan burgers in hun leefomgeving worden blootgesteld vanwege risicovolle bedrijven, te beperken. Het besluit heeft tot doel zowel individuele als groepen burgers een minimaal (aanvaard) beschermingsniveau te bieden. Via een bijhorende ministeriële regeling (Revi) worden diverse veiligheidsafstanden tot kwetsbare en beperkt kwetsbare objecten gegeven. Aanvullend op het Bevi zijn in het Vuurwerkbesluit en het Activiteitenbesluit (Besluit algemene regels inrichtingen milieubeheer) veiligheidsafstanden genoemd die rond minder risicovolle inrichtingen moeten worden aangehouden.
 
Vervoer gevaarlijke stoffen door buisleidingen
Met betrekking tot het beleid en de regelgeving voor het vervoer van gevaarlijke stoffen door buisleidingen zijn er de afgelopen jaren verschillende ontwikkelingen geweest. Zo is er een nieuw Besluit externe veiligheid buisleidingen (Bevb) en een Structuurvisie buisleidingen. Deze structuurvisie bevat een lange termijnvisie op het buisleidingentransport van gevaarlijke stoffen.
 
Het Bevb en de bijbehorende Regeling externe veiligheid buisleidingen (Revb) regelen onder andere welke veiligheidsafstanden moeten worden aangehouden rond buisleidingen met gevaarlijke stoffen. Op basis van het Bevb wordt het voor gemeenten verplicht om bij de vaststelling van een bestemmingsplan, op basis waarvan de aanleg van een buisleiding of een kwetsbaar object of een risicoverhogend object mogelijk is, de grenswaarde voor het plaatsgebonden risico in acht te nemen en het groepsrisico te verantwoorden.
 
Vervoer gevaarlijke stoffen over weg, water en spoor
Het Besluit externe veiligheid transportroutes (Bevt) stelt regels aan transportroutes en de omgeving daarvan. Zo moet een basisveiligheidsniveau rond transportassen (plaatsgebonden risico) en een transparante afweging van het groepsrisico worden gewaarborgd.
 
Als onderdeel van het Bevt is op 1 april 2015 tevens het basisnet in werking getreden. Het basisnet verhoogt de veiligheid van mensen die wonen of werken in de buurt van rijksinfrastructuur (auto-, spoor- en vaarwegen) waarover gevaarlijke stoffen worden vervoerd. In de regeling ligt vast wat de maximale risico’s voor omwonenden mogen zijn. Die begrenzing was er tot nu toe niet. Bovendien zorgt het basisnet ervoor dat gevaarlijke stoffen tussen de belangrijkste industriële locaties in Nederland en het buitenland vervoerd kunnen blijven worden.
 
Indien een bestemmingsplan betrekking heeft op een gebied dat geheel of gedeeltelijk gelegen is binnen 200 m van een (basisnet)transportroute voor gevaarlijke stoffen, moet in de toelichting ingegaan worden op de dichtheid van personen in het invloedsgebied van de transportroute op het tijdstip waarop het plan wordt vastgesteld. Hierbij moet rekening worden gehouden met de personen die a) in dat gebied reeds aanwezig zijn, b) in dat gebied op grond van het geldende bestemmingsplan redelijkerwijs te verwachten zijn en c) de redelijkerwijs te verwachten verandering van de dichtheid van personen in het gebied waarop dat plan betrekking heeft.
 
Planspecifiek
Voor de beoordeling of in de omgeving van het plangebied risicovolle inrichtingen en/of transportroutes gevaarlijke stoffen aanwezig zijn is de risicokaart geraadpleegd. De volgende afbeelding toont een uitsnede van deze kaart:
 
Uitsnede risicokaart, plangebied zwart omcirkeld (bron: risicokaart.nl)
 
Floraweg 10
Transport gevaarlijke stoffen
De planlocatie ligt in het effectgebied van de A4, maar wel een op ruime afstand van circa 375 m. Vanwege het transport van toxische vloeistoffen van categorie LT3 heeft de A4 een effectgebied van meer dan 4.000 m. Een nieuwe risicoberekening is niet nodig, omdat de afstand tot de transportroute A4 meer dan 200 m bedraagt (Besluit externe veiligheid transportroutes, art 8).
 
Aan de mogelijkheden tot voorbereiding van bestrijding en beperking van de omvang van een ramp en de mogelijkheden voor personen om zich in veiligheid te brengen moet wel aandacht worden besteed (Bevt, art 7). Bij een incident met toxische stoffen op de A4 kan een giftige gaswolk ontstaan die de locatie kan bereiken. Bij een dergelijke calamiteit zijn geen bijzondere voorzieningen nodig om de omvang van een ramp te beperken en om de aanwezige personen veiligheid te bieden. Het sluiten van ramen, deuren en ventilatieroosters en zoveel mogelijk uitschakelen van ventilatiesystemen na alarmering door de veiligheidsregio of bericht van NL-Alert is daarvoor voldoende.
 
Bij een incident met een LPG-tankwagen op de A4 kan een BLEVE ontstaan. De afstand van de planlocatie tot de A4 wordt voldoende groot geacht ten aanzien van de gevolgen van een BLEVE. De bereikbaarheid van het gebied voor de hulpdiensten wijzigt niet na de realisatie van het plan. De hulpdiensten kunnen het gebied en/of locatie via lokale wegen bereiken om de omvang van een ramp te beperken. De aanwezige personen kunnen zich in veiligheid te brengen via de Floraweg, mits tijdig gewaarschuwd.
  
Inrichtingen
Het plangebied is op meer dan 600 m van de inrichtingsgrens van Dobbe transport gelegen. De plaatsgebonden risicocontour (PR10-6) waarbinnen een verantwoording voor het groepsrisico moet worden opgesteld ligt op 30 meter vanaf de inrichtingsgrens. De afstand tussen deze inrichting en het plangebied is daarmee ruim voldoende.
De ontwikkeling vindt niet plaats binnen het invloedsgebied van de risicobron. Daarmee behoeft geen verder onderzoek uitgevoerd te worden naar de invloed van dit bedrijf op het groepsrisico ter hoogte van het plangebied.
   
Buisleidingen
Uit het raadplegen van de risicokaart blijkt dat op een afstand van ca. 1.140 m van het plangebied verschillende buisleidingen van Gasunie en Ocap trading B.V. zijn gelegen. Gezien deze afstand tot het plangebied kan gesteld worden dat het plangebied op voldoende afstand gelegen is om veiligheidsrisico's uit te sluiten.
 
Floraweg 31a
Transport gevaarlijke stoffen
De planlocatie ligt in het effectgebied van de A4, maar wel een op ruime afstand van circa 580 m. Vanwege het transport van toxische vloeistoffen van categorie LT3 heeft de A4 een effectgebied van meer dan 4.000 m. Een nieuwe risicoberekening is niet nodig, omdat de afstand tot de transportroute A4 meer dan 200 m bedraagt (Besluit externe veiligheid transportroutes, art 8).
 
Aan de mogelijkheden tot voorbereiding van bestrijding en beperking van de omvang van een ramp en de mogelijkheden voor personen om zich in veiligheid te brengen moet wel aandacht worden besteed (Bevt, art 7). Bij een incident met toxische stoffen op de A4 kan een giftige gaswolk ontstaan die de locatie kan bereiken. Bij een dergelijke calamiteit zijn geen bijzondere voorzieningen nodig om de omvang van een ramp te beperken en om de aanwezige personen veiligheid te bieden. Het sluiten van ramen, deuren en ventilatieroosters en zoveel mogelijk uitschakelen van ventilatiesystemen na alarmering door de veiligheidsregio of bericht van NL-Alert is daarvoor voldoende.
 
Bij een incident met een LPG-tankwagen op de A4 kan een BLEVE ontstaan. De afstand van de planlocatie tot de A4 wordt voldoende groot geacht ten aanzien van de gevolgen van een BLEVE. De bereikbaarheid van het gebied voor de hulpdiensten wijzigt niet na de realisatie van het plan. De hulpdiensten kunnen het gebied en/of locatie via lokale wegen bereiken om de omvang van een ramp te beperken. De aanwezige personen kunnen zich in veiligheid te brengen via de Floraweg, mits tijdig gewaarschuwd.
 
De nieuwe woning wordt voorzien van mechanische ventilatie die in geval van een incident (vrijkomen van giftige stoffen) met één druk op de knop uitgeschakeld kan worden. Dit is geborgd in de regels van onderhavig bestemmingsplan.
  
Inrichtingen
Het plangebied is op meer dan 500 m van de inrichtingsgrens van Dobbe transport gelegen. De plaatsgebonden risicocontour (PR10-6) waarbinnen een verantwoording voor het groepsrisico moet worden opgesteld ligt op 30 meter vanaf de inrichtingsgrens. De afstand tussen deze inrichting en het plangebied is daarmee ruim voldoende. De ontwikkeling vindt niet plaats binnen het invloedsgebied van de risicobron. Daarmee behoeft geen verder onderzoek uitgevoerd te worden naar de invloed van dit bedrijf op het groepsrisico ter hoogte van het plangebied.
   
Buisleidingen
Uit het raadplegen van de risicokaart blijkt dat op een afstand van ca. 1.330 m van het plangebied verschillende buisleidingen van Gasunie en Ocap trading B.V. zijn gelegen. Gezien deze afstand tot het plangebied kan gesteld worden dat het plangebied op voldoende afstand gelegen is om veiligheidsrisico's uit te sluiten.
 
Gezien het voorgaande vormt het aspect externe veiligheid geen belemmering voor de voorgenomen ontwikkeling.
 
4.7 Ecologie
Bij ruimtelijke ingrepen dient rekening te worden gehouden met de natuurwaarden ter plaatse. Daarbij wordt onderscheid gemaakt tussen gebiedsbescherming en soortenbescherming. Gebiedsbescherming kan volgen uit de aanwijzing van een gebied. Wat betreft soortenbescherming is per 1 januari 2017 de Flora- en faunawet samen met de Boswet en Natuurbeschermingswet vervangen door de Wet natuurbescherming (Wnb). Onder de Wet natuurbescherming vervallen de tabellen 1, 2 en 3 waarin de beschermde soorten zijn opgenomen. Tevens zijn er circa 200 soorten niet langer beschermd en worden enkele bedreigde soorten toegevoegd. De soortenbescherming binnen de Wet natuurbescherming is opgedeeld in de volgende beschermingsregimes: Vogelrichtlijnsoorten, Habitatrichtlijnsoorten en andere soorten. Voor alle beschermde soorten geldt een ontheffingsplicht. Het bevoegd gezag (de provincie) kan voor de soorten die zijn opgenomen in het ‘beschermingsregime andere soorten’ vrijstellingbesluit nemen en hierin onderscheid maken tussen meer en minder strikt beschermde soorten.
 
Daarnaast geldt voor iedereen in Nederland altijd, dus ook los van het voorliggende beoogde ruimtelijke project, dat de zorgplicht nageleefd moet worden bij het verrichten van werkzaamheden. Voor menig soort geldt dat indien deze zorgplicht nagekomen wordt een bepaald beoogd project uitvoerbaar is.
 
Planspecifiek
 
Floraweg 10
Het voorliggend plan ziet alleen op een functiewijziging van de woning. Deze functiewijziging is niet van invloed op omliggende flora en fauna. Nader onderzoek is niet nodig.
   
Floraweg 31a
Soortenbescherming
Op de planlocatie staat een kleine woning met daaromheen een goed onderhouden tuin. Naar verwachting is er geen spouwmuur en zijn er geen kieren of spleten. De planlocatie heeft daarom naar verwachting geen essentiële betekenis voor beschermde soorten. De planlocatie is mogelijk geschikt leefgebied voor soorten welke niet beschermd zijn (behoudens de algemene zorgplicht) en/of waarvoor een vrijstelling geldt. Voor broedvogels geldt dat de nesten van alle soorten beschermd zijn tijdens het broedseizoen (indicatief 15 maart – 15 juli).
 
Gebiedsbescherming 
De planlocatie maakt geen onderdeel uit van een Natura 2000-gebied of provinciaal aangewezen beschermde gebieden. Het meest nabijgelegen Natura 2000-gebied 'Nieuwkoopse Plassen & De Haeck' bevindt zich op een afstand van ca. 11,9 km. Op een afstand van ca. 1,3 km ligt het Natuurnetwerk Nederland. Gelet op de aard van de werkzaamheden, de afstand tot de gebieden en de beoogde situatie wordt een stikstofberekening niet noodzakelijk geacht.
 
Wel moet te allen tijde rekening gehouden worden met de zorgplicht. Hiertoe dient rekening gehouden te worden met de onderstaande maatregelen:
  • Aangetroffen dieren krijgen de gelegenheid om te vluchten of zich te verplaatsen naar een schuilplaats buiten het bereik van de werkzaamheden.
  • Potentiële schuilplekken worden gecontroleerd op aanwezigheid van schuilende dieren.
  • Schuilplekken worden zoveel mogelijk intact gelaten.
  • In gebruik zijnde nesten mogen niet worden vernietigd. Broedende vogels mogen niet worden verstoord. Activiteiten welke verstorend zijn voor broedende vogels, zoals rooi- en sloopwerkzaamheden, dienen buiten de broedperiode te worden gestart. Het broedseizoen verschilt per soort. Globaal moet rekening gehouden worden met de periode tussen half februari en eind augustus. Als werkzaamheden in het broedseizoen worden uitgevoerd die mogelijk resulteren in het wegnemen of verstoren van broedgevallen dient voor aanvang door een ter zake deskundig gecontroleerd te worden of er broedvogels aanwezig zijn.
Geconcludeerd kan worden dat het aspect ecologie geen belemmering vormt voor de beoogde ontwikkeling.
 
4.8 Waterhuishouding
De waterhuishouding is van groot belang binnen de ruimtelijke ordening. Door verstandig om te gaan met het water kan verdroging en wateroverlast (waaronder ook risico van overstromingen e.d.) voorkomen worden en de kwaliteit van het water hoog gehouden worden.  
Op Rijksniveau en Europees niveau zijn de laatste jaren veel plannen en wetten gemaakt met betrekking tot water. De belangrijkste hiervan zijn het Waterbeleid voor de 21e eeuw, de Waterwet en het Nationaal Waterplan.
 
Waterbeleid voor de 21e eeuw
De Commissie Waterbeheer 21e eeuw heeft in augustus 2000 advies uitgebracht over het toekomstige waterbeleid in Nederland. De adviezen van de commissie staan in het rapport ‘Anders omgaan met water, Waterbeleid voor de 21e eeuw’ (WB21). De kern van het rapport WB21 is dat water de ruimte moet krijgen, voordat het die ruimte zelf neemt. In het Waterbeleid voor de 21e eeuw worden twee principes (drietrapsstrategieën) voor duurzaam waterbeheer geïntroduceerd:
  • vasthouden, bergen en afvoeren: dit houdt in dat overtollig water zoveel mogelijk bovenstrooms wordt vastgehouden in de bodem en in het oppervlaktewater. Vervolgens wordt zo nodig het water tijdelijk geborgen in bergingsgebieden en pas als vasthouden en bergen te weinig opleveren wordt het water afgevoerd.
  • schoonhouden, scheiden en zuiveren: hier gaat het erom dat het water zoveel mogelijk schoon wordt gehouden. Vervolgens worden schoon en vuil water zoveel mogelijk gescheiden en als laatste komt het zuiveren van verontreinigd water aan bod.
Waterwet
Centraal in de Waterwet staat een integraal waterbeheer op basis van de ‘watersysteembenadering’. Deze benadering gaat uit van het geheel van relaties binnen watersystemen. Denk hierbij aan de relaties tussen waterkwaliteit, -kwantiteit, oppervlakte- en grondwater, maar ook aan de samenhang tussen water, grondgebruik en watergebruikers. Het doel van de Waterwet is het integreren van acht bestaande wetten voor waterbeheer. Door middel van één watervergunning regelt de wet het beheer van oppervlaktewater en grondwater en de juridische implementatie van Europese richtlijnen, waaronder de Kaderrichtlijn Water. Via de Waterwet gelden verschillende algemene regels. Niet alles is onder algemene regels te vangen en daarom is er de integrale watervergunning. In deze integrale watervergunning zijn zes vergunningen uit eerdere wetten (inclusief keurvergunning) opgegaan in één aparte watervergunning.
 
Nationaal Water Programma
Op basis van de Waterwet is het Nationaal Water Programma vastgesteld door het kabinet. Het Nationaal Water Programma geeft op hoofdlijnen aan welk beleid het Rijk in de periode 2022-2027 voert om te komen tot een duurzaam waterbeheer. Het Nationaal Water Programma richt zich op bescherming tegen overstromingen, beschikbaarheid van voldoende en schoon water en de diverse vormen van gebruik van water. Het geeft maatregelen die in de periode 2022-2027 genomen moeten worden om Nederland ook voor toekomstige generaties veilig en leefbaar te houden en de kansen die water biedt te benutten.
 
Hoogheemraadschap van Rijnland
 
Waterbeheerprogramma 2022 - 2028
Voor de planperiode 2022 - 2028 is het waterbeheerprogramma (WBP6) van het hoogheemraadschap van Rijnland van toepassing. Met het programma WBP6 maakt Rijnland duidelijk hoe het, in samenwerking met de omgeving, invulling geeft aan zijn wettelijke taken en zijn eigen ambities voor de periode 2022 - 2028. In het WBP zijn voor een aantal onderdelen verschillende doelen geformuleerd. Het gaat daarbij in hoofdlijnen om het volgende: 
  1. Waterveiligheid: Rijnland beschermt het beheergebied, de inwoners en bedrijven tegen overstromingen vanuit zee, de rivieren en het regionale watersysteem.
  2. Voldoende water: Samen met de omgeving zorgt Rijnland voor voldoende water. Niet te veel, niet te weinig, maar precies genoeg voor inwoners, bedrijven en natuur.
  3. Schoon water: Rijnland zorgt voor een goede ecologische en chemische waterkwaliteit, afgestemd op de verschillende functies en versterkt de biodiversiteit.
  4. Waterketen: Rijnland zuivert afvalwater van huishoudens en bedrijven. Hiermee draagt het waterschap bij aan een goede volksgezondheid, een goede waterkwaliteit en een gezonde leefomgeving.
  5. Rijnland duurzaam: Samen met de omgeving zet Rijnland in op duurzaam werken door de kringloop van water, energie en grondstoffen zoveel mogelijk te sluiten
  6. Rijnland klimaatadaptief: Rijnland maakt het beheergebied klimaatadaptief door de inrichting van de omgeving aan te passen aan de gevolgen van klimaatverandering.
  7. Financiën: Rijnland voert een financieel beleid dat betaalbaar en volhoudbaar is, maar ook uitvoerbaar en uitlegbaar.
Het watersysteem is niet de verantwoordelijkheid van Rijnland alleen. Ook inwoners, bedrijven, overheden en andere organisaties hebben er invloed op en zijn dus medeverantwoordelijk. Denk bijvoorbeeld aan woningbouw, dempen of graven van watergangen of activiteiten waarbij stoffen vrijkomen die de waterkwaliteit beïnvloeden. Rijnland zorgt ervoor dat ook anderen doen waar ze verantwoordelijk voor zijn. Daarvoor geven ze voorlichting en advies, verlenen we vergunningen en controleren we of iedereen zich aan de afspraken houdt.
 
Rijnland staat initiatieven zoveel mogelijk toe, vanuit het principe 'ja, tenzij' dat ze sinds 2015 hanteren. Door minder regels en meer ruimte voor initiatieven voldoet Rijnland aan één van de belangrijkste uitgangspunten van de nieuwe Omgevingswet.
 
Keur 2020 en Uitvoeringsregels
Op grond van de Waterwet is het hoogheemraadschap bevoegd via een eigen verordening, de Keur, regels te stellen aan handelingen die het watersysteem beïnvloeden. Denk hierbij aan handelingen in of nabij:
  • waterkeringen (onder andere duinen, dijken en kaden);
  • watergangen (onder andere kanalen, rivieren, sloten, beken);
  • andere waterstaatswerken (o.a. bruggen, duikers, stuwen, sluizen en gemalen);
  • de bodem van kwelgevoelige gebieden.
Maar ook aan:
  • het onttrekken en lozen van grondwater;
  • het aanbrengen van verhard oppervlak.
De Keur vermeldt expliciet welke handelingen vergunningsplichtig zijn en welke aan algemene regels of aan de zorgplicht moeten voldoen. In de Uitvoeringsregels die bij de Keur horen is dit nader uitgewerkt.
 
Hemelwater
Indien een toename van het verhard oppervlak plaatsvindt, dient de initiatiefnemer een verhard oppervlak ter grootte van minimaal 15 % van het nieuw aan te leggen verhard oppervlak te reserveren voor extra open water (bij een toename aan verhard oppervlak: vanaf 500 m² tot 5.000 m²). Het nieuwe open water moet aangesloten worden op het bestaande watersysteem. Uitgangspunt is dat de aanleg van verhard oppervlak geen negatieve gevolgen mag hebben op het watersysteem.
 
In overleg met het hoogheemraadschap is het mogelijk om de compensatie-eis voor verhard oppervlak te verminderen door alternatieve maatregelen toe te passen.
 
Riolering en afkoppelen
Voor zover het bestemmingsplan nieuwe ontwikkelingen mogelijk maakt, is het van belang dat er met het hoogheemraadschap afstemming plaatsvindt over het omgaan met afvalwater en hemelwater. Overeenkomstig het rijksbeleid gaat het hoogheemraadschap uit van een voorkeursvolgorde voor de omgang met deze waterstromen. Deze houdt in dat allereerst geprobeerd moet worden het ontstaan van (verontreinigd) afvalwater te voorkomen, bijvoorbeeld door het toepassen van niet uitlogende bouwmaterialen en het vermijden van vervuilende activiteiten op straat zoals auto’s wassen en chemische onkruidbestrijding. Vervolgens is het streven vuil water te scheiden van schoon water, bijvoorbeeld door het afkoppelen van hemelwaterafvoeren van gemengde rioolstelsels. De laatste stap in de voorkeursvolgorde is het zuiveren van het afvalwater. De doelmatigheid daarvan wordt vergroot door het scheiden van de schone en de vuile stromen.
 
De gemeente kan gebruik maken van deze voorkeursvolgorde bij de totstandkoming van het gemeentelijk rioleringsplan (GRP), waarin de uiteindelijke afweging wordt gemaakt en waarbij doelmatigheid van de oplossing centraal staat.
 
Zorgplicht en preventieve maatregelen voor hemelwater
Voor de verwerking van hemelwater wijst het hoogheemraadschap op de zorgplicht en op het nemen van preventieve maatregelen. Het verdient aanbeveling daar waar mogelijk aandacht te besteden aan maatregelen bij de bron. Preventie heeft de voorkeur boven ‘end-of-pipe’ maatregelen. Uitgangspunt is dat het te lozen hemelwater geen significante verslechtering van de kwaliteit van het ontvangende oppervlaktewater mag veroorzaken en emissie van vervuilende stoffen op het oppervlaktewater waar mogelijk wordt voorkomen door bijvoorbeeld:
  • duurzaam bouwen;
  • het toepassen berm- of bodempassage;
  • toezicht en controle tijdens de aanlegfase en handhaving tijdens de beheerfase ter voorkoming van verkeerde aansluitingen;
  • het regenwaterriool uit te voeren met (straat)kolken voorzien van extra zand- slibvang of zakputten (putten met verdiepte bodem) op tactische plekken in het stelsel;
  • adequaat beheer van straatoppervlak, straatkolken en zakputten (straatvegen en kolken/putten zuigen);
  • het toepassen van duurzaam onkruidbeheer;
  • de bewoners, gebruikers en beheerders voor te lichten over de werking van de riolering en een juist gebruik hiervan;
  • het vermijden van vervuilende activiteiten op straat zoals auto’s wassen en repareren en chemische onkruidbestrijding.
Daar waar ondanks de zorgplicht en de preventieve maatregelen het te lozen hemelwater naar verwachting een aanmerkelijk negatief effect heeft op de oppervlaktewaterkwaliteit, kan in overleg tussen gemeente en waterschap gekozen worden voor aanvullende voorzieningen, een verbeterd gescheiden stelsel of - als laatste keus - aansluiten op het gemengde stelsel. Ook kan de gemeente in overleg met het hoogheemraadschap kiezen voor een generieke ‘end-of-pipe’ aanpak. Deze keuze moet dan expliciet gemaakt worden in het GRP.
 
Planspecifiek
 
Floraweg 10
Voorliggend plan leidt niet tot een verdere toe- of afname van verharding of oppervlakte water. Watercompensatie is daarmee niet noodzakelijk. In de afvoer van hemelwater treedt er geen verandering op ten opzichte van de huidige situatie.
 
Floraweg 31a
De huidige woning heeft een oppervlakte van circa 124 m2 , deze woning wordt gesloopt en op de plaats van deze woning komt een bedrijfswoning met een oppervlakte van 259 m2.  Voorliggend plan gaat dus uit van een toename van verharding. De verhardingstoename zal niet meer dan 500 m2 bedragen. Hoogheemraadschap Rijnland schrijft in haar beleid voor dat indien een initiatiefnemer meer dan 500 m2 extra verhard oppervlak wil aanleggen compensatie in de vorm van open water vereist is. Deze grens wordt naar verwachting niet overschreden. Derhalve is geen compensatie noodzakelijk.
  
Geconcludeerd kan worden dat het aspect water geen belemmeringen vormt voor het beoogde initiatief.
 
4.9 Cultureel erfgoed
4.9.1 Cultuurhistorie
Goede ruimtelijke ordening betekent dat er een integrale afweging plaatsvindt van alle belangen die effect hebben op de kwaliteit van de ruimte. Een van die belangen is de cultuurhistorie. Het bestemmingsplan is een belangrijk instrument om cultuurhistorische waarden in een gebied te beschermen.
 
Per 1 januari 2012 is in het kader van de modernisering van de monumentenzorg (MOMO) in het Besluit ruimtelijke ordening van het Rijk opgenomen dat gemeenten bij het maken van bestemmingsplannen rekening moeten houden met cultuurhistorische waarden.
 
Planspecifiek
 
Floraweg 10
Binnen de plangebieden zijn geen monumenten of cultuurhistorische waardevolle elementen aanwezig. Tevens zijn er in de directe omgeving van de plangebieden geen monumenten aanwezig. Het bebouwingslint van de Floraweg is wel van cultuurhistorische waarde. Echter vinden er met onderhavig plan geen sloop- en/of bouwwerkzaamheden plaats. De ontwikkeling heeft dan ook geen invloed op de karakteristieken van het bebouwingslint.
 
Floraweg 31a
In het bestemmingsplan 'Geestweg en Floraweg' wordt geconcludeerd dat de verkavelingsstructuur van het veenweidegebied het cultuurhistorisch meest waardevolle element vormt. Andere waardevolle structuren en waardevolle bebouwing zijn niet aanwezig. Hoewel het bestemmingsplan 'Geestweg en Floraweg' ten dele deze verkavelingstructuur beschermd wordt tevens geconcludeerd dat de ruimtelijke opgave voor de Geestweg en de Floraweg zich moeilijk laat verenigen met het volledige behoud en mogelijk herstel van deze structuur. Met voorliggend initiatief wordt de bedrijfswoning passend in het lint  gesitueerd. Daarmee wordt de ontwikkeling ingepast in de omliggende bebouwingsopzet en landschapsindeling. De ontwikkeling voegt zich zodoende naar het verhaal van de ontstaansgeschiedenis en de ontwikkelingen in tijd. Tevens is er op de beoogde locatie reeds een woning aanwezig.
 
Geconcludeerd kan worden dat het aspect cultuurhistorie geen belemmeringen veroorzaakt voor onderhavig plan.
 
4.9.2 Archeologie
In 1992 is in Valletta (Malta) het Europees Verdrag inzake de bescherming van het archeologisch erfgoed (Verdrag van Malta) ondertekend. Het Verdrag van Malta voorziet in bescherming van het Europees archeologisch erfgoed onder meer door de risico's op aantasting van dit erfgoed te beperken. Per 1 juli 2016 is de Erfgoedwet ingegaan totdat de Omgevingswet in werking treedt. De Erfgoedwet bundelt bestaande wet- en regelgeving voor behoud en beheer van het cultureel erfgoed in Nederland. Onder andere de Monumentenwet is hierin opgegaan. Op basis van de Erfgoedwet zijn mogelijke (toevals)vondsten bij het verrichten van werkzaamheden in de bodem altijd beschermd. Artikel 5.10 lid 1 van de Erfgoedwet stelt namelijk: 'Degene die anders dan bij het verrichten van opgravingen een vondst doet waarvan hij weet dan wel redelijkerwijs moet vermoeden dat het een archeologische vondst betreft, meldt dit zo spoedig mogelijk bij Onze Minister'.
 
Planspecifiek
In mei 2011 is het archeologiebeleid van de gemeente Kaag en Braassem vastgesteld. In het kader van een aantal bestemmingsplanprocedures en het voornemen tot vaststellen van een erfgoedverordening is het archeologiebeleid van de gemeente Kaag en Braassem geëvalueerd. Op basis van deze evaluatie zijn de ondergrenzen herijkt en de archeologische verwachting op bepaalde plaatsen in de gemeente aangepast. Vervolgens heeft de gemeenteraad op 13 mei 2013 deze herziening van het beleid vastgesteld. Op navolgende afbeelding staat de archeologische beleidskaart van de gemeente Kaag en Braassem weergegeven.
 
Uitsnede archeologische beleidskaart gemeente Kaag en Braassem, plangebied rood omcirkeld
 
Uit het raadplegen van de archeologische beleidskaart van de gemeente Kaag en Braassem blijkt dat de plangebieden beschikken over een lage verwachtingswaarde. Nader onderzoek bij bodemverstoringen is daarmee niet noodzakelijk. De meldingsplicht bij vondsten blijft onverminderd van kracht.
 
Geconcludeerd kan worden dat het aspect archeologie geen belemmeringen vormt voor het initiatief.
 
4.10 Verkeer en parkeren
 
4.10.1 Verkeer
Voor het maken van een inschatting van de hoeveelheid autoverkeer dat wordt gegenereerd bij ruimtelijke ontwikkelingen, zijn kencijfers verkeersgeneratie ontwikkeld. Onder verkeersgeneratie wordt hierbij verstaan de totale hoeveelheid gemotoriseerd verkeer (exclusief openbaar vervoer) die gedurende een gekozen tijdsperiode naar de beoogde ontwikkeling toe rijdt en hiervan wegrijdt.
 
Het nationale kennisplatform voor infrastructuur, verkeer, vervoer en openbare ruimte (CROW) geeft in publicatie 381 'Toekomstbestendig parkeren, van parkeerkencijfers naar parkeernormen' kencijfers voor verkeersgeneratie. In de richtlijnen wordt onderscheid gemaakt op basis van de functie van de ontwikkeling (wonen, bedrijf, etc.) en op basis van de locatiekenmerken. Zodoende kan bij ruimtelijke ontwikkelingen voor vrijwel elke locatie een goed beeld worden verkregen wat de totale verkeersaantrekkende werking bedraagt.
 
Planspecifiek
 
Floraweg 10
Voorgenomen ontwikkeling betreft het omzetten van een bedrijfswoning naar een burgerwoning. Het gebruik van het terrein en de bebouwing blijft gelijk aan de huidige situatie. De verkeersgeneratie zal ten opzichte van de huidige situatie dan ook niet toenemen. Daarbij volgt dat het plangebied goed ontsloten en bereikbaar is. 
 
Floraweg 31a
Middels voorliggend bestemmingsplan wordt een nieuwe bedrijfswoning mogelijk gemaakt. In navolgende tabel wordt, uitgaande van de normeringen in de CROW-publicatie 381 'Toekomstbestendig parkeren', inzicht gegeven in de totale verkeersgeneratie. Hierbij is rekening gehouden met de ligging van het plangebied in matig stedelijk buitengebied.
 
FunctieVerkeersgeneratieAantalTotaal
Vrijstaande koopwoning7,8 per woning17,8
Totaal--7,8
 
De totale verkeersgeneratie als gevolg van de beoogde ontwikkeling bedraagt maximaal 7,8 motorvoertuigen per etmaal. Gelet op de kenmerken van de weg en het snelheidsregime bestaat de capaciteit van de Floraweg uit circa 3.000 motorvoertuigen per etmaal. De verhoging van het bestaande aantal bewegingen is mogelijk en zal niet tot knelpunten op het onderliggende wegennet zal leiden.
 
Het aspect verkeer vormt derhalve geen belemmering voor de voorgenomen ontwikkeling.
    
4.10.2 Parkeren
Het benodigde of gewenste aantal parkeerplaatsen bij ruimtelijke ontwikkelingen kan worden bepaald op basis van parkeerkencijfers of op basis van parkeernormen. Parkeerkencijfers zijn op de praktijk gebaseerde cijfers van de verwachte parkeerbehoefte. Parkeernormen staan voor het aantal vereiste parkeerplaatsen per type bestemming. Op basis van deze parkeernormen wordt parkeerbeleid veelal vormgegeven.
 
Planspecifiek
De 'Nota Parkeernormen 2018' van de gemeente Kaag en Braassem vormt de basis voor het bepalen van de parkeerbehoefte in de gemeente Kaag en Braassem. Eén van de uitgangspunten uit de gemeentelijke Nota Parkeernormen is dat de benodigde parkeerbehoefte op eigen terrein moet worden ondergebracht. In lijn met de 'Nota Parkeernormen 2018' van de gemeente Kaag en Braassem is voor de planlocatie uitgegaan van de categorie 'rest bebouwde kom'.
 
Floraweg 10
De navolgende tabel geeft de parkeerbehoefte weer van de toekomstige situatie op het perceel.
 
FunctieParkeernormeringAantalTotaal
Vrijstaande koopwoning2,012,0
Totaal  2,0
      
De parkeerbehoefte bedraagt 2 parkeerplaatsen. De parkeerbehoefte van de burgerwoning kan op het terrein (ten noorden) van het bedrijf opgelost worden. De toekomstige situatie verandert niet ten opzichte van de huidige situatie wat betreft het parkeren.
 
Floraweg 31a
De navolgende tabel geeft de parkeerbehoefte weer van de toekomstige situatie op het perceel.
FunctieParkeernormeringAantalTotaal
Vrijstaande koopwoning2,012,0
Totaal  2,0
      
In de beoogde situatie is er parkeermogelijkheid voor minimaal 2 auto's en de parkeerbehoefte bedraagt 2 parkeerplaatsen. Daarmee zijn er geen belemmeringen te verwachten in het kader van verkeer en parkeren.
 
Geconcludeerd kan worden dat het aspect parkeren geen belemmering vormt voor de beoogde ontwikkeling. 
            
5 Juridische planbeschrijving
5.1 Algemeen
Voor het bestemmingsplan is gebruik gemaakt van de in de Wet ruimtelijke ordening opgenomen standaardvorm van de Standaard Vergelijkbare Bestemmingplannen 2012 (SVBP 2012).
 
Dit bestemmingsplan bestaat uit een verbeelding, planregels en een toelichting. De verbeelding en de planregels vormen samen het juridisch bindende gedeelte van het bestemmingsplan. Beide planonderdelen dienen in onderlinge samenhang te worden bezien en toegepast. Op de verbeelding zijn de bestemmingen aangewezen. Aan deze bestemmingen zijn bouwregels en regels betreffende het gebruik gekoppeld.
 
De toelichting heeft geen rechtskracht, maar vormt niettemin een belangrijk onderdeel van het plan. De toelichting van dit bestemmingsplan geeft een weergave van de beweegredenen, de onderzoeksresultaten en de beleidsuitgangspunten die aan het bestemmingsplan ten grondslag liggen. Ook is de toelichting van wezenlijk belang voor een juiste interpretatie en toepassing van het bestemmingsplan. Tot slot maakt een eventuele bijlage onlosmakelijk onderdeel uit van het bestemmingsplan.
 
5.2 Verbeelding
Op de verbeelding worden de bestemmingen weergegeven met daarbij andere bepalingen als gebiedsaanduidingen, bouwaanduidingen, bouwvlakken etc. Voor de analoge verbeelding is gebruik gemaakt van een digitale ondergrond (Grootschalige Basiskaart en/of kadastrale kaart). 
 
5.3 Planregels
De planregels zijn onderverdeeld in vier hoofdstukken. Hoofdstuk 1 bevat de inleidende regels voor het hele plangebied. Hoofdstuk 2 geeft de bestemmingsregels. Hoofdstuk 3 geeft vervolgens de algemene regels waaronder (mogelijke) flexibiliteitsbepalingen in de vorm van wijzigings- en afwijkingsbevoegdheden. In dit derde hoofdstuk kunnen belangrijke algemene bepalingen zijn opgenomen die van invloed zijn op het bepaalde in hoofdstuk 2. Ten slotte regelt hoofdstuk 4 de overgangs- en slotbepalingen. In de volgende paragraaf worden de afzonderlijke bestemmingen behandeld.
 
Voor de planregels is de gestandaardiseerde opbouw uit de Standaard Vergelijkbare Bestemmingsplannen 2012 gebruikt. In de planregels is een standaard hoofdstukindeling aangehouden die begint met 'Inleidende regels' (begrippen en wijze van meten), vervolgens met de 'Bestemmingsregels', de 'Algemene regels' (de regels die voor alle bestemmingen gelden) en de 'Overgangs- en slotregels'. In het tweede hoofdstuk, de Bestemmingsregels, staan de verschillende bestemmingen op alfabetische volgorde.
 
Ook de regels van een bestemming kennen een standaardopbouw en worden als volgt benoemd:
  • bestemmingsomschrijving (in elk bestemmingsplan);
  • bouwregels (bestemmingsplanafhankelijk);
  • nadere eisen (bestemmingsplanafhankelijk);
  • afwijken van de bouwregels (bestemmingsplanafhankelijk);
  • specifieke gebruiksregels (bestemmingsplanafhankelijk);
  • afwijken van de gebruiksregels (bestemmingsplanafhankelijk);
  • omgevingsvergunning voor het uitvoeren van een werk, geen bouwwerk zijnde, of van werkzaamheden (bestemmingsplanafhankelijk).
 
5.4 Wijze van bestemmen
De bestemmingen in voorliggend bestemmingsplan zijn gebaseerd op het geldende bestemmingsplan 'Geestweg en Floraweg'. Voorliggend bestemmingsplan bevat de volgende (dubbel)bestemmingen:
       
Agrarisch - Glastuinbouw
De bestemming 'Agrarisch - Glastuinbouw' is opgenomen voor de gronden van het plangebied aan de Floraweg 31a. Binnen deze bestemming is het mogelijk gebouwen en bouwwerken, geen gebouwen zijnde, ten behoeve van glastuinbouw op te richten en te gebruiken. Ondergeschikte detailhandel is mogelijk mits het verkoopvloeroppervlakte niet meer dan 45 m² bedraagt. Per volwaardig agrarisch bedrijf is, onder voorwaarden, één bedrijfswoning toegestaan, tenzij er ten tijden van vaststelling van dit plan reeds meerdere aanwezig zijn. Middels de functieaanduiding 'bedrijfswoning' is de bedrijfswoning mogelijk gemaakt. De goot- en bouwhoogte mogen respectievelijk 3 en 8 m bedragen. De inhoud van de woning mag niet meer bedragen dan 650 m³. Met een gevellijn is de voorgevel van de woning aangegeven.
 
Wonen
De gronden met de bestemming 'Wonen' zijn bestemd voor wonen, de uitoefening van een aan huis verbonden beroep en bijbehorende voorzieningen. Een hoofdgebouw mag uitsluitend binnen een bouwvlak worden gebouwd. Er is één woning van maximaal 650 m³ toegestaan. Er zijn regels voor het bouwen van bijbehorende bouwwerken opgenomen. Hierbij wordt aangesloten bij de maatvoering van het bestaande gebouw aan de Floraweg 10.  
 
6 Economische uitvoerbaarheid
Bij de voorbereiding van een ruimtelijk plan dient, op grond van artikel 3.1.6 lid 1, sub f van het Besluit ruimtelijke ordening (Bro), onderzoek plaats te vinden naar de (economische) uitvoerbaarheid van het plan. In principe dient bij vaststelling van een ruimtelijk besluit tevens een exploitatieplan vastgesteld te worden om verhaal van plankosten zeker te stellen. Op basis van 'afdeling 6.4 grondexploitatie', artikel 6.12, lid 2 van de Wro kan de gemeenteraad bij het besluit tot vaststelling van een ruimtelijk plan echter besluiten geen exploitatieplan vast te stellen indien:
  • het verhaal van kosten van de grondexploitatie over de in het plan of besluit begrepen gronden anderszins verzekerd is;
  • het bepalen van een tijdvak of fasering als bedoeld in artikel 6.13, eerste lid, onder c, 4°, onderscheidenlijk 5°, niet noodzakelijk is;
  • het stellen van eisen, regels, of een uitwerking van regels als bedoeld in artikel 6.13, tweede lid, onderscheidenlijk b, c of d, niet noodzakelijk is.
Planspecifiek
De economische uitvoerbaarheid van de ontwikkeling is gewaarborgd door middel van een anterieure overeenkomst tussen de gemeente en initiatiefnemer. Overige gemeentelijke kosten bij begeleiding van het project kunnen middels leges op de initiatiefnemer worden verhaald.
 
7 Maatschappelijke uitvoerbaarheid
7.1 Algemeen
Bij de voorbereiding van een ontwerp bestemmingsplan dient op grond van artikel 3.1.6 lid 1 Wro sub c overleg te worden gevoerd als bedoeld in artikel 3.1.1 Bro. Op basis van het eerste lid van dit artikel wordt overleg gevoerd met waterschappen en met die diensten van provincie en Rijk die betrokken zijn bij de zorg voor de ruimtelijke ordening of belast zijn met de behartiging van belangen welke in het plan in het geding zijn. Voor wat kleinere plannen kan, in overleg, afgezien worden van dit overleg.
  
Een ontwerp bestemmingsplan dient conform afdeling 3.4 Awb gedurende 6 weken ter inzage gelegd worden. Hierbij is er de mogelijkheid voor een ieder om zienswijzen in te dienen op het plan. Na vaststelling door de Raad wordt het vaststellingsbesluit bekend gemaakt. Het bestemmingsplan ligt na bekendmaking 6 weken ter inzage. Gedurende deze termijn is er de mogelijkheid beroep in te dienen bij de Afdeling bestuursrechtspraak van de Raad van State. Het bestemmingsplan treedt vervolgens de dag na afloop van de tervisielegging in werking als er geen beroep is ingesteld. Is er wel beroep ingesteld dan treedt het bestemmingsplan ook in werking, tenzij naast het indienen van een beroepschrift ook om een voorlopige voorziening is gevraagd. De schorsing van de inwerkingtreding eindigt indien de voorlopige voorziening wordt afgewezen. De procedure eindigt met het besluit van de Afdeling bestuursrechtspraak van de Raad van State.
 
Participatie
De initiatiefnemer heeft de plannen voorgelegd aan de omwonenden. Er zijn geen bezwaren tegen de voorgenomen ontwikkeling geuit.
 
7.2 Verslag artikel 3.1.1 Bro overleg
Het voorontwerpbestemmingsplan is in het kader van het vooroverleg ex artikel 3.1.1 Bro gestuurd naar de overlegpartners. Daarnaast is in het bestemmingsplan rekening gehouden met het advies van Omgevingsdienst West-Holland.
 
Provincie Zuid-Holland
Er is uitsluitend een vooroverlegreactie ontvangen van de provincie Zuid-Holland op 10 mei 2023. Dit advies heeft geleid tot aanvulling in paragraaf 3.2.2 (Omgevingsverordening Zuid-Holland) van de toelichting.
 
7.3 Verslag zienswijzen
Eventuele zienswijzen worden in de voorliggende paragraaf of in een separate bijlage samengevat en van een gemeentelijke reactie voorzien.